_Skiles_CNC_Portland_Hardwar_Gap_Jamaica_Laplante.jpg)
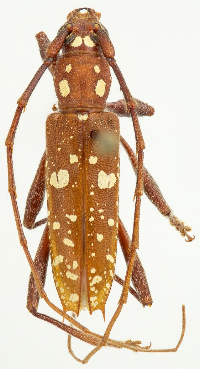
Specimen Type: holotype Sex: m Institution: CNC Canadian National Collection of Insects, Ottawa, Ontario, Canada Photographer: Serge Laplante, photograph and data Determiner: Copyright of
Agriculture & Agri Food Canada Collection Location: Hardwar Gap, St Andrews, Jamaica 62998
|
_Skiles_CNC_Portland_Hardwar_Gap_Jamaica_Laplante.jpg)
Specimen Type: holotype Sex: m Institution: CNC Canadian National Collection of Insects, Ottawa, Ontario, Canada Photographer: Serge Laplante, photograph and data Determiner: Copyright of
Agriculture & Agri Food Canada Collection Location: Hardwar Gap, St Andrews, Jamaica 62999
|
_Skiles_CNC_Portland_Hardwar_Gap_Jamaica_Laplante.jpg)
Specimen Type: holotype Sex: m Institution: CNC Canadian National Collection of Insects, Ottawa, Ontario, Canada Photographer: Serge Laplante, photograph and data Determiner: Copyright of
Agriculture & Agri Food Canada Collection Location: Hardwar Gap, St Andrews, Jamaica 63000
|
_Skiles_Jamaica_UCB.jpg)
Specimen Type: paratype Sex: m Institution: UCB Essig Museum of Entomology, Berkeley, California, USA Photographer: Larry G. Bezark Collection Location: Hardwar Gap, Jamaica 9348
|
|