New Search Family, Subfamily and Tribe List

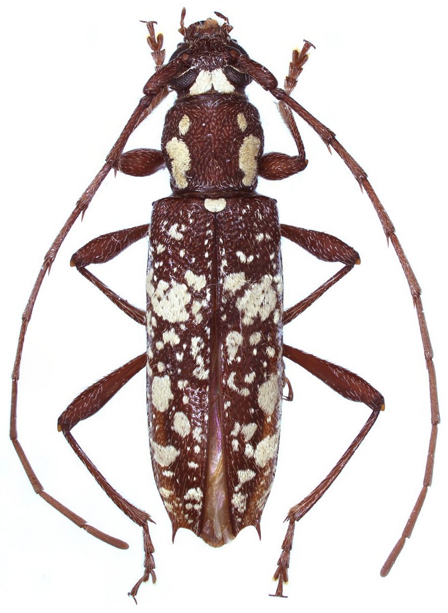
SubFamily Cerambycinae

Tribe Elaphidiini
Linsleyonides guerreroi Lingafelter 2024

Specimen Type: holotype
Sex: f
Institution: NMNH United States National Museum, Washington, DC, USA
Photographer: Steve Lingafelter
Collection Location: Las Abejas, Parq Nac Sierra de Baoruco, Pedernales Prov, Dominican Rep
95837

130425