New Search Family, Subfamily and Tribe List
new world both worldsboth worlds old world
Family Cerambycinae
SubFamily Cerambycinae
Tribe Rhinotragini

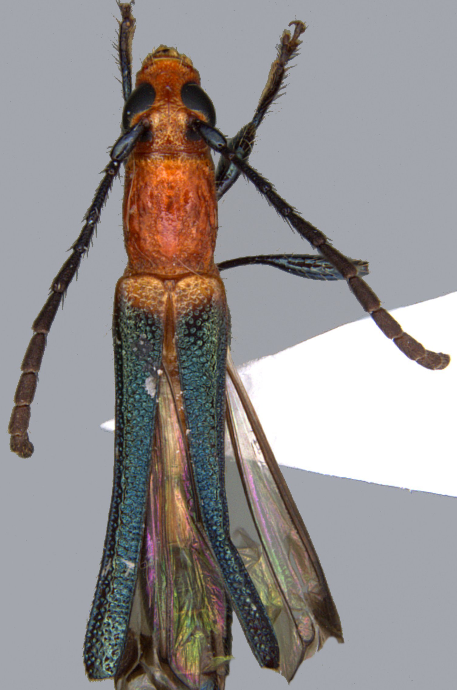
Genus Chrysaethe


Chrysaethe
amboroensis


Chrysaethe
amoena


Chrysaethe
asperiventris


Chrysaethe
atrata
atrata


Chrysaethe
atrata
guianensis


Chrysaethe
atrocephala


Chrysaethe
aurantipennis


Chrysaethe
aurata


Chrysaethe
aureicollis


Chrysaethe
beltiana


Chrysaethe
cyanipennis


Chrysaethe
globulicollis


Chrysaethe
iodes


Chrysaethe
jorgei


Chrysaethe
lazzoi


Chrysaethe
ochraceicollis


Chrysaethe
panamensis


Chrysaethe
smaragdina


Chrysaethe
viriditincta

130503