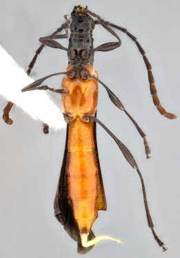
_Bez_SS_CAS_Rio_Candela_Amistad_Nat_Pk_Chiriqui_Pan.jpg)
Specimen Type: holotype Sex: f Institution: CAS California Academy of Sciences, San Francisco, CA, USA Photographer: Antonio Santos-Silva Collection Location: Rio Candela, Amistad National Park, Chiriqui, Panama 52778
|
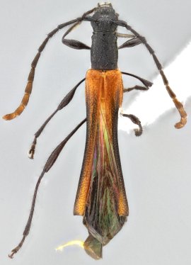
_Bez_SS_CAS_Rio_Candela_Amistad_Nat_Pk_Chiriqui_Pan.jpg)
Specimen Type: holotype Sex: f Institution: CAS California Academy of Sciences, San Francisco, CA, USA Photographer: Antonio Santos-Silva Collection Location: Rio Candela, Amistad National Park, Chiriqui, Panama 52779
|
_Bez_SS_CAS_Rio_Candela_Amistad_Nat_Pk_Chiriqui_Pan.jpg)
Specimen Type: holotype Sex: f Institution: CAS California Academy of Sciences, San Francisco, CA, USA Photographer: Antonio Santos-Silva Collection Location: Rio Candela, Amistad National Park, Chiriqui, Panama 52780
|
|