New Search Family, Subfamily and Tribe List

SubFamily Cerambycinae

Tribe Rhinotragini
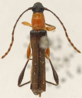
Chrysaethe atrocephala (Fisher, 1947)

Ommata atrocephala Fisher
Specimen Type: holotype
Sex: f
Institution: AMNH American Museum of Natural History, New York, NY, USA
Collection Location: Corupa, Santa Catarina, Brazil
27874

130425