New Search Family, Subfamily and Tribe List

SubFamily Cerambycinae

Tribe Rhinotragini
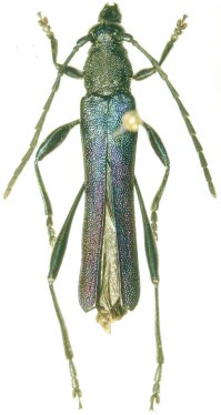
Chrysaethe amboroensis Clarke 2010

Ommata amboroensis (Clarke)
Specimen Type: holotype
Sex: m
Institution: MNKM Museo de Hist Nat Noel Kempff Mercado Santa Cruz de la Sierra, Bolivia
Collection Location: 5 km SSE Buena Vista, Santa Cruz, Bolivia
29603

130425