New Search Family, Subfamily and Tribe List
new world both worldsboth worlds old world
Family Lepturinae
SubFamily Lepturinae
Tribe Caraphiini

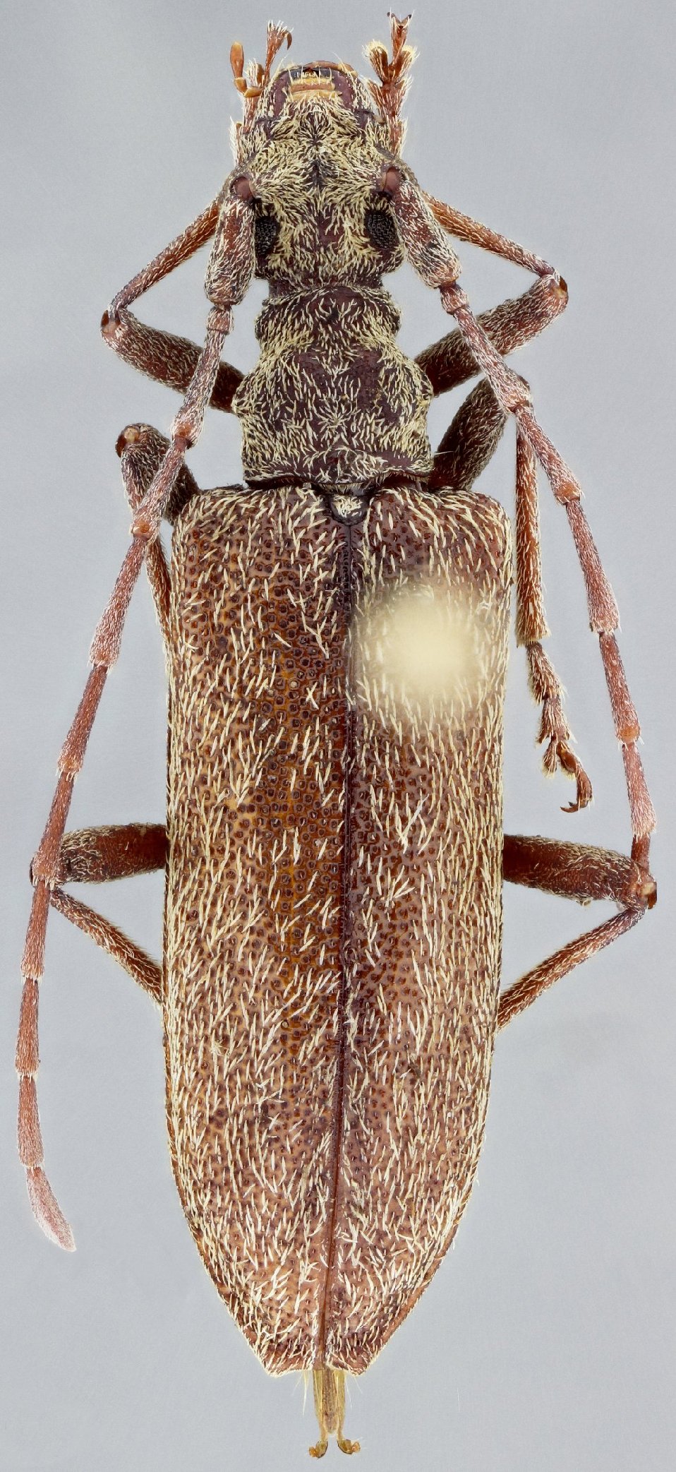
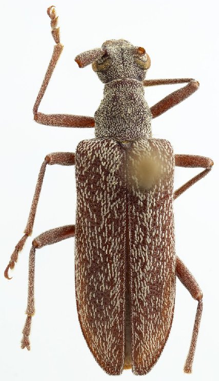
Genus Caraphia


Caraphia
lingafelteri


Caraphia
seriata


Caraphia
squamosa


Caraphia
warneri


Caraphia
woodruffi

130503