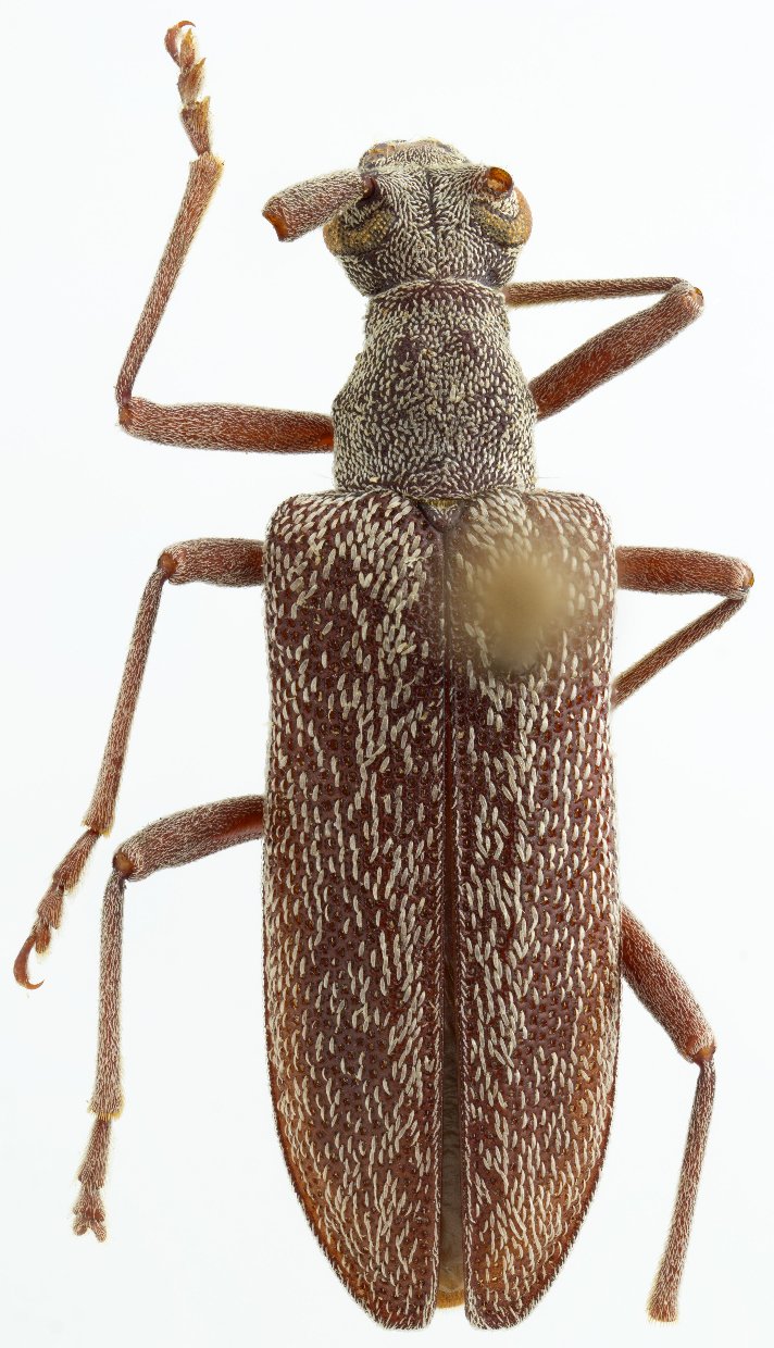
_Chem_Lins_CNC_12miN_Tuxtla_Gutierrez_CH_Mex_Caraphia_Lap.jpg)
Noctileptura squamosa Chemsak & Linsley Specimen Type: holotype Sex: f Institution: CNC Canadian National Collection of Insects, Ottawa, Ontario, Canada Photographer: Serge Laplante, photograph and data Determiner: Copyright of
Agriculture & Agri Food Canada Collection Location: 12 mi N of Tuxtla, Gutierrez, Chiapas, Mexico 63033
|
_Chem_Lins_CNC_12miN_Tuxtla_Gutierrez_CH_Mex_Caraphia_Lap.jpg)
Noctileptura squamosa Chemsak & Linsley Specimen Type: holotype Sex: f Institution: CNC Canadian National Collection of Insects, Ottawa, Ontario, Canada Photographer: Serge Laplante, photograph and data Determiner: Copyright of
Agriculture & Agri Food Canada Collection Location: 12 mi N of Tuxtla, Gutierrez, Chiapas, Mexico 63034
|
_Chem_Lins_CNC_12miN_Tuxtla_Gutierrez_CH_Mex_Caraphia_Lap.jpg)
Noctileptura squamosa Chemsak & Linsley Specimen Type: holotype Sex: f Institution: CNC Canadian National Collection of Insects, Ottawa, Ontario, Canada Photographer: Serge Laplante, photograph and data Determiner: Copyright of
Agriculture & Agri Food Canada Collection Location: 12 mi N of Tuxtla, Gutierrez, Chiapas, Mexico 63035
|
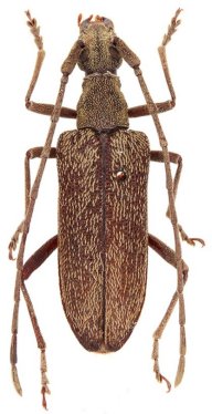
_Ohbayashi_Lin.jpg)
Sex: f Photographer: Ohbayashi & Lin 53040
|
_Chem_Lins_SS.jpg)
Sex: m Photographer: Antonio Santos-Silva 68284
|
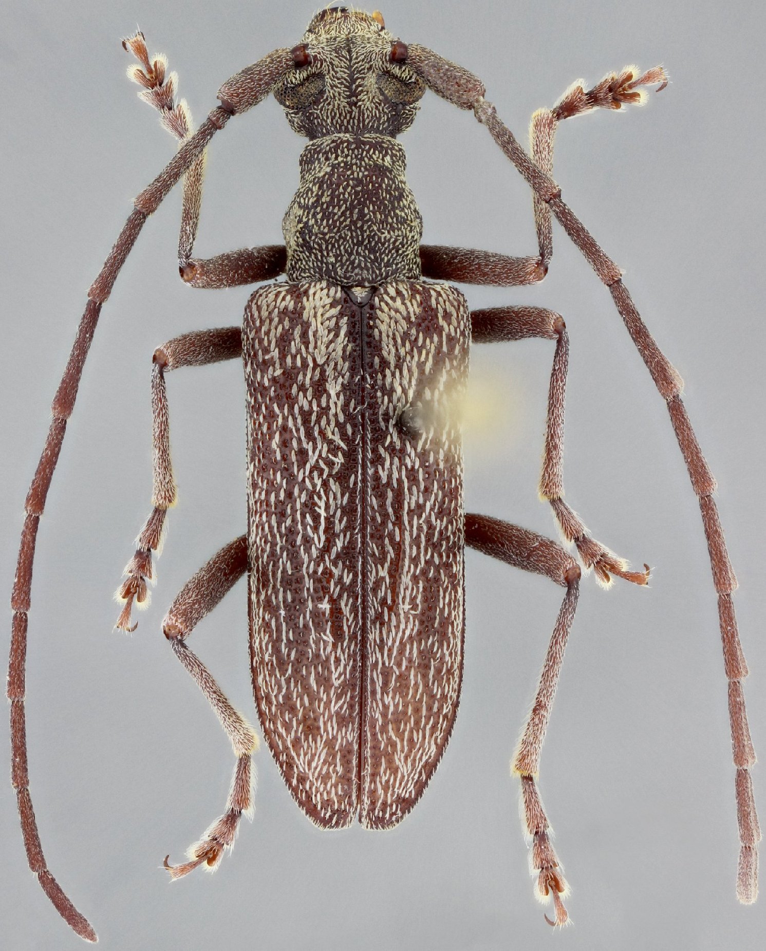
_Chem_Lins_SS.jpg)
Sex: m Photographer: Antonio Santos-Silva 68285
|
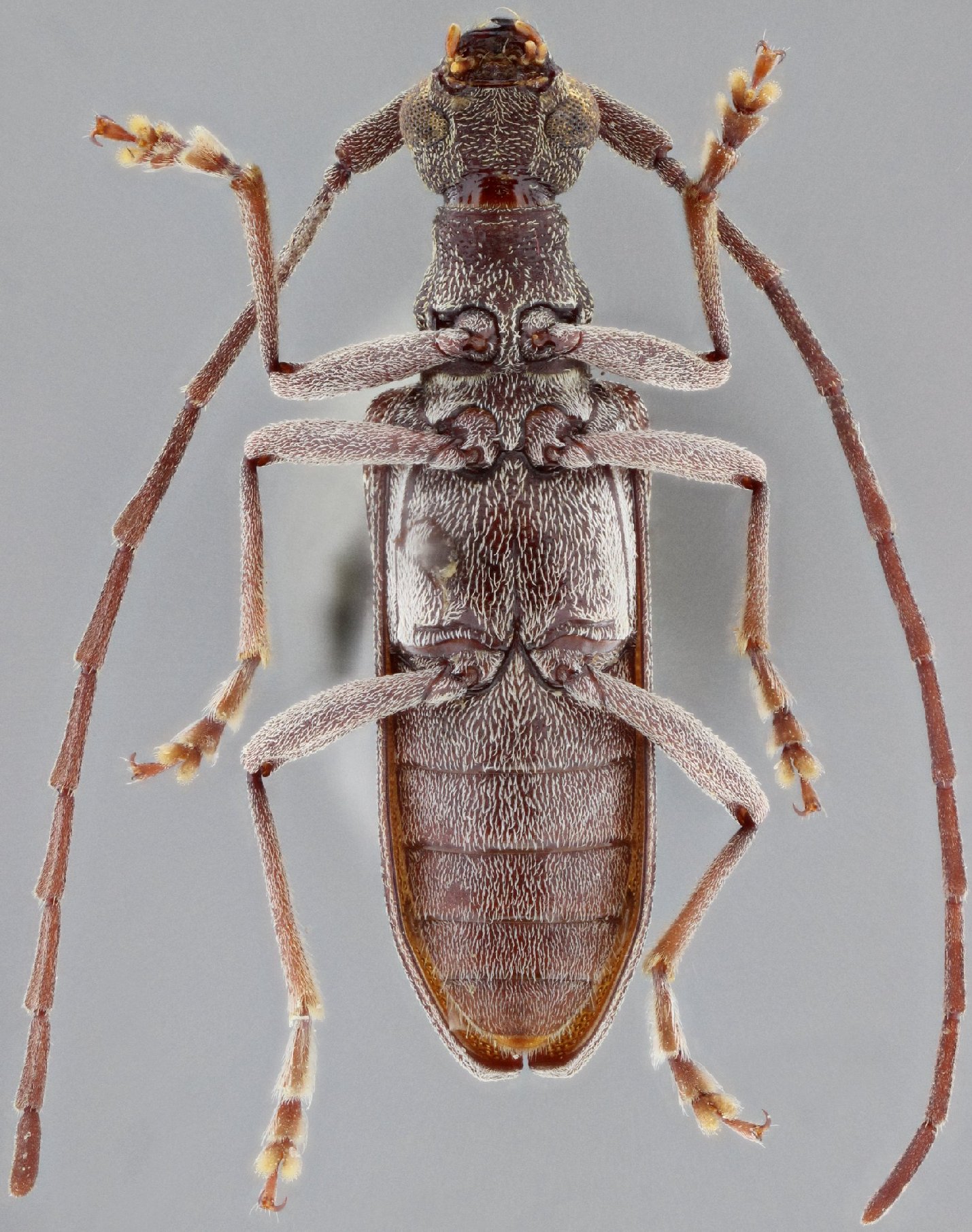
_Chem_Lins_SS.jpg)
Sex: m Photographer: Antonio Santos-Silva 68286
|
_Chem_Lins_SS.jpg)
Sex: m Photographer: Antonio Santos-Silva 68287
|
|