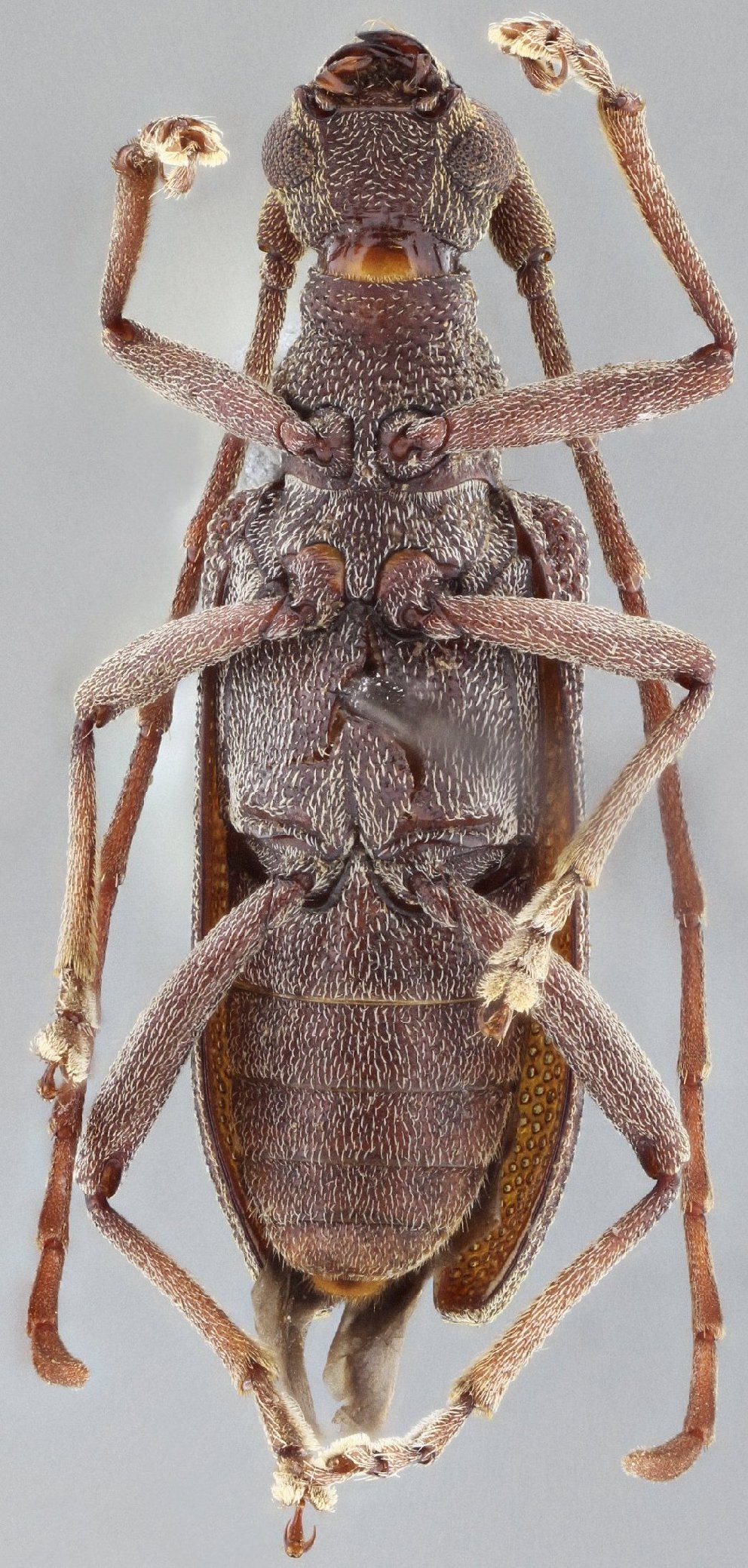
_Wappes_SS_FSCA_E_Morales_Sierra_delMerendon_Izabal_Guat.jpg)
Specimen Type: holotype Sex: m Institution: FSCA Florida State Collection of Arthropods, Gainesville, FL, USA Photographer: Antonio Santos-Silva Collection Location: E of Morales, Sierra del Merendon, Izabal, Guatemala 68270
|
_Wappes_SS_FSCA_E_Morales_Sierra_delMerendon_Izabal_Guat.jpg)
Specimen Type: holotype Sex: m Institution: FSCA Florida State Collection of Arthropods, Gainesville, FL, USA Photographer: Antonio Santos-Silva Collection Location: E of Morales, Sierra del Merendon, Izabal, Guatemala 68271
|
_Wappes_SS_FSCA_E_Morales_Sierra_delMerendon_Izabal_Guat.jpg)
Specimen Type: holotype Sex: m Institution: FSCA Florida State Collection of Arthropods, Gainesville, FL, USA Photographer: Antonio Santos-Silva Collection Location: E of Morales, Sierra del Merendon, Izabal, Guatemala 68272
|
_Wappes_SS_FSCA_E_Morales_Sierra_delMerendon_Izabal_Guat.jpg)
Specimen Type: holotype Sex: m Institution: FSCA Florida State Collection of Arthropods, Gainesville, FL, USA Photographer: Antonio Santos-Silva Collection Location: E of Morales, Sierra del Merendon, Izabal, Guatemala 68273
|
_Wappes_SS_FSCA_Sierra_del_Caral_Cerro_Negro_Norte_Izabal_Guat.jpg)
Specimen Type: paratype Sex: f Institution: FSCA Florida State Collection of Arthropods, Gainesville, FL, USA Photographer: Antonio Santos-Silva Collection Location: Sierra del Caral, Cerro Negro Norte, Izabal, Guatemala 68274
|
_Wappes_SS_FSCA_Sierra_del_Caral_Cerro_Negro_Norte_Izabal_Guat.jpg)
Specimen Type: paratype Sex: f Institution: FSCA Florida State Collection of Arthropods, Gainesville, FL, USA Photographer: Antonio Santos-Silva Collection Location: Sierra del Caral, Cerro Negro Norte, Izabal, Guatemala 68275
|
_Wappes_SS_FSCA_Sierra_del_Caral_Cerro_Negro_Norte_Izabal_Guat.jpg)
Specimen Type: paratype Sex: f Institution: FSCA Florida State Collection of Arthropods, Gainesville, FL, USA Photographer: Antonio Santos-Silva Collection Location: Sierra del Caral, Cerro Negro Norte, Izabal, Guatemala 68276
|
|