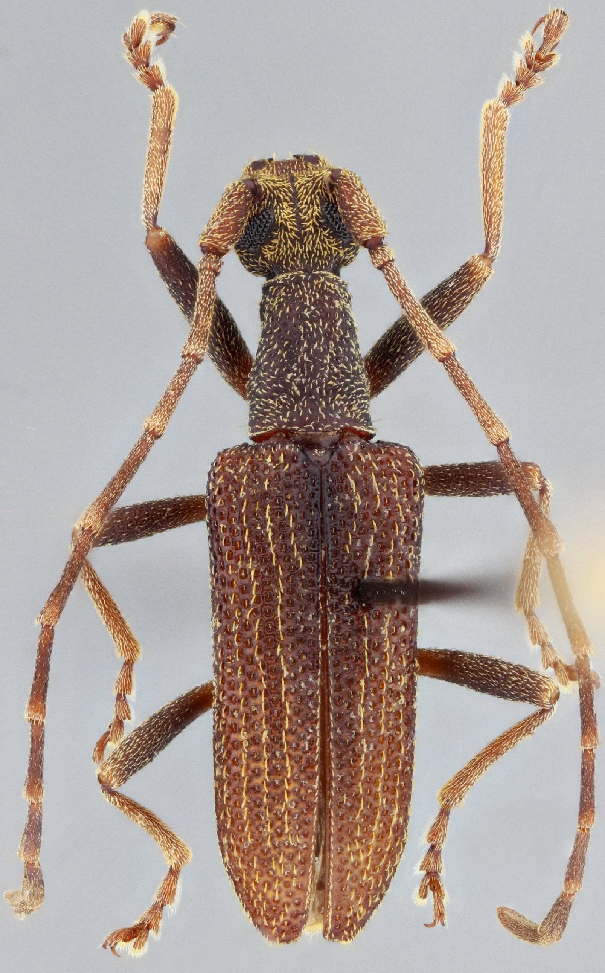
_Chem_Lins_NMNH_Livingston_Guta.jpg)
Specimen Type: holotype Sex: m Institution: NMNH United States National Museum, Washington, DC, USA Collection Location: Livingston, Guatemala 53039
|
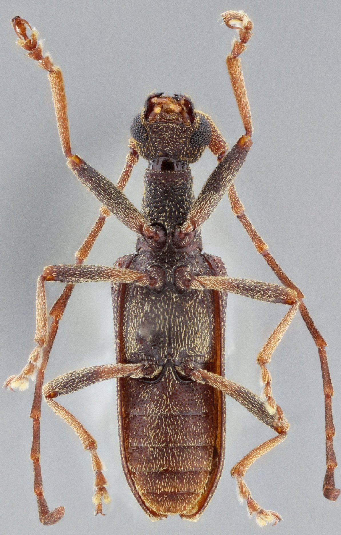
_Chemsak_and_Linsley_Guatemala_USNM_SWL.jpg)
Noctileptura seriata Chemsak & Linsley Specimen Type: holotype Sex: f Institution: NMNH United States National Museum, Washington, DC, USA Photographer: Steve Lingafelter Collection Location: Livingston, Guatemala 10626
|
_Chemsak_and_Linsley_UCB.jpg)
Noctileptura seriata Chemsak & Linsley Specimen Type: paratype Institution: UCB Essig Museum of Entomology, Berkeley, California, USA Photographer: Larry G. Bezark 10627
|
_Chem_Lins_SS.jpg)
Sex: m Photographer: Antonio Santos-Silva 68281
|
_Chem_Lins_SS.jpg)
Sex: m Photographer: Antonio Santos-Silva 68282
|
_Chem_Lins_SS.jpg)
Sex: m Photographer: Antonio Santos-Silva 68283
|
|