New Search Family, Subfamily and Tribe List
new world both worldsboth worlds old world
Family Lamiinae
SubFamily Lamiinae
Tribe Mesosini

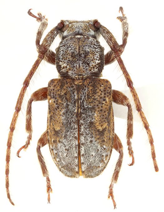
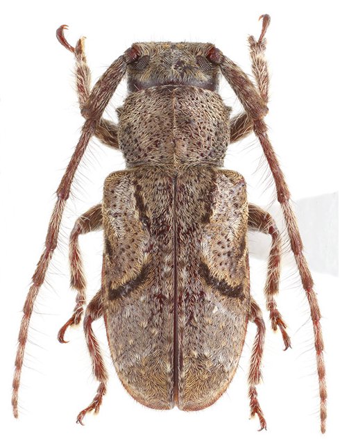
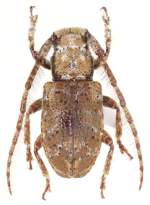
Genus Anipocregyes


Anipocregyes
albifrons


Anipocregyes
kawakamii


Anipocregyes
laosensis


Anipocregyes
multifasciculatus


Anipocregyes
rondoni


Anipocregyes
seminivea


Anipocregyes
wakabayashii

130503