_NMNH_Pakkading_region_de_Paksane_Laos_SWL.jpg)
Specimen Type: holotype Institution: NMNH United States National Museum, Washington, DC, USA Photographer: Steve Lingafelter Collection Location: Pakkading, région de Paksane, Laos 31869
|
_NMNH_Pakkading_region_de_Paksane_Laos_SWL.jpg)
Specimen Type: holotype Institution: NMNH United States National Museum, Washington, DC, USA Photographer: Steve Lingafelter Collection Location: Pakkading, région de Paksane, Laos 71433
|
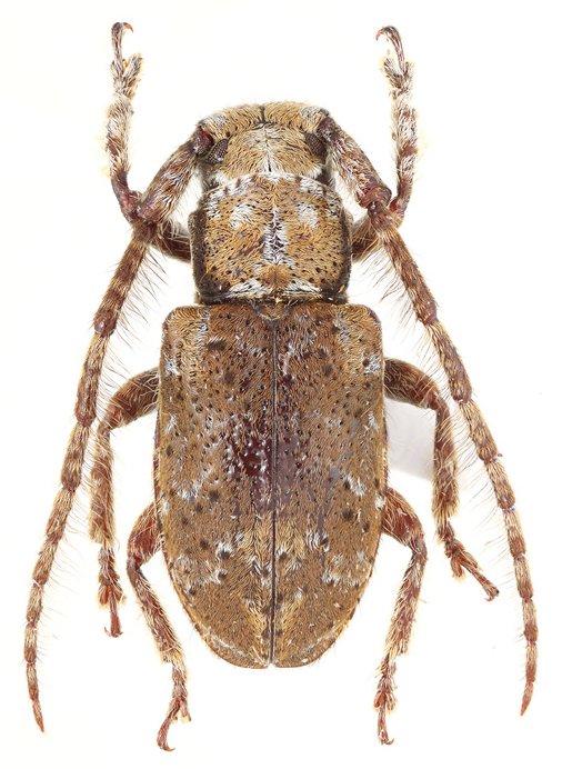
_Br_MZB_Benakat_Natural_forest_South_Sumatra_Indonesia.jpg)
Sex: m Institution: MZBI Museum Zoologicum Bogoriense, Bogor, Indonesia Photographer: Junsuke Yamasako Collection Location: Benakat Natural Forest, South Sumatra, Indonesia 71434
|
_Br_MZB_Benakat_Natural_forest_South_Sumatra_Indonesia.jpg)
Sex: m Institution: MZBI Museum Zoologicum Bogoriense, Bogor, Indonesia Photographer: Junsuke Yamasako Collection Location: Benakat Natural Forest, South Sumatra, Indonesia 71435
|
_Br_FFPRI_Benakat_Natural_forest_South_Sumatra_Indonesia.jpg)
Sex: f Institution: FFPRI Forestry and Forest Products Research Institute, Tsukuba, Japan Photographer: Junsuke Yamasako Collection Location: Benakat Natural Forest, South Sumatra, Indonesia 71436
|
_Br_FFPRI_Benakat_Natural_forest_South_Sumatra_Indonesia.jpg)
Sex: f Institution: FFPRI Forestry and Forest Products Research Institute, Tsukuba, Japan Photographer: Junsuke Yamasako Collection Location: Benakat Natural Forest, South Sumatra, Indonesia 71437
|

Institution: Heffern Collection Photographer: Dan Heffern Collection Location: Sabah, Borneo 71723
|
|