_Yamasako_Makihara_EUMJ_10_miN_Keningau_Sabah_Borneo.jpg)
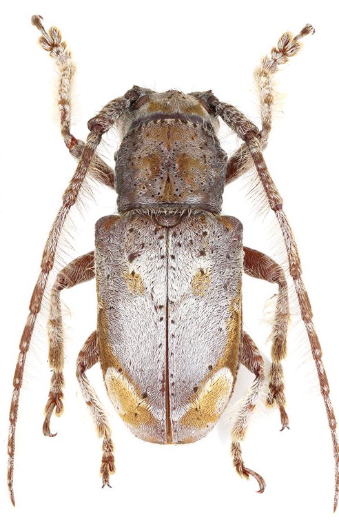
Specimen Type: holotype Sex: m Institution: EUMJ Entomology laboratory, Ehime University Museum, Matsuyama, Japan Photographer: Junsuke Yamasako Collection Location: 10 mi N Keningau, Sabah, Borneo 71427
|
_Yamasako_Makihara_EUMJ_10_miN_Keningau_Sabah_Borneo.jpg)
Specimen Type: holotype Sex: m Institution: EUMJ Entomology laboratory, Ehime University Museum, Matsuyama, Japan Photographer: Junsuke Yamasako Collection Location: 10 mi N Keningau, Sabah, Borneo 71428
|
_Yamasako_Makihara_MZB_Bukit_Soeharto_Kalimantan_Timur_Indonesia.jpg)
Specimen Type: paratype Sex: f Institution: MZBI Museum Zoologicum Bogoriense, Bogor, Indonesia Photographer: Junsuke Yamasako Collection Location: Bukit Soeharto, Kalimantan Timur, Indonesia 71429
|
_Yamasako_Makihara_MZB_Bukit_Soeharto_Kalimantan_Timur_Indonesia.jpg)
Specimen Type: paratype Sex: f Institution: MZBI Museum Zoologicum Bogoriense, Bogor, Indonesia Photographer: Junsuke Yamasako Collection Location: Bukit Soeharto, Kalimantan Timur, Indonesia 71430
|
_Mt_Trus_Madi_Sabah.jpg)
Specimen Type: paratype Institution: Heffern Collection Photographer: Dan Heffern Determiner: Junsuke Yamasako Collection Location: Mt Trus Madi, Sabah, Borneo 71643
|
_Pensiangan_Sabah.jpg)
Specimen Type: paratype Institution: Heffern Collection Photographer: Dan Heffern Determiner: Junsuke Yamasako Collection Location: Pensiangan, Sabah, Borneo 71644
|
_Tawau_Sabah.jpg)
Specimen Type: paratype Institution: Heffern Collection Photographer: Dan Heffern Determiner: Junsuke Yamasako Collection Location: Tawau, Sabah, Borneo 71645
|

Sex: m Photographer: Makihara 31306
|
|