_Br_BPBM_Pakkading_Paksane_Laos_NO.jpg)
Cristipocregyes rondoni Breuning Specimen Type: holotype Institution: BPBM Bernice P. Bishop Museum, Honolulu, Hawaii, USA Photographer: Nobuo Ohbayashi Collection Location: Ban Say Kham, Pakkading, Paksane Region, Laos 43319
|
_Br_BPBM_Pakkading_Paksane_Laos_NO.jpg)
Cristipocregyes rondoni Breuning Specimen Type: holotype Institution: BPBM Bernice P. Bishop Museum, Honolulu, Hawaii, USA Photographer: Nobuo Ohbayashi Collection Location: Ban Say Kham, Pakkading, Paksane Region, Laos 43320
|
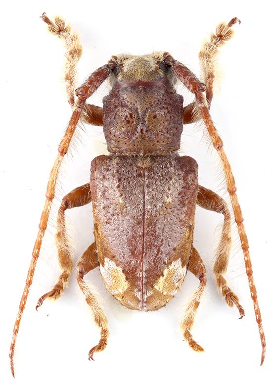
_Br_BPBM_Pakkading_Paksane_Laos_NO.jpg)
Cristipocregyes rondoni Breuning Specimen Type: holotype Institution: BPBM Bernice P. Bishop Museum, Honolulu, Hawaii, USA Photographer: Nobuo Ohbayashi Collection Location: Ban Say Kham, Pakkading, Paksane Region, Laos 43321
|

Specimen Type: BPBM Photographer: Jim Cope Collection Location: Laos 36138
|
_ (Breuning)_BPBM_Phou_Khao_Khouay_Vientiane_Prov_Laos.jpg)
Sex: m Institution: BPBM Bernice P. Bishop Museum, Honolulu, Hawaii, USA Photographer: Junsuke Yamasako Collection Location: Phou Khao Khouay, Vientiane Province, Laos 71423
|
_ (Breuning)_BPBM_Phou_Khao_Khouay_Vientiane_Prov_Laos.jpg)
Sex: m Institution: BPBM Bernice P. Bishop Museum, Honolulu, Hawaii, USA Photographer: Junsuke Yamasako Collection Location: Phou Khao Khouay, Vientiane Province, Laos 71424
|
|