New Search Family, Subfamily and Tribe List
new world both worldsboth worlds old world
Family Prioninae
SubFamily Prioninae
Tribe Meroscelisini

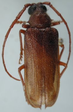
Genus Tragosoma


Tragosoma
harrisii


Tragosoma
nigripenne


Tragosoma
pilosicorne


Tragosoma
soror


Tragosoma
spiculum

130503