_NMNH_SWL.jpg)
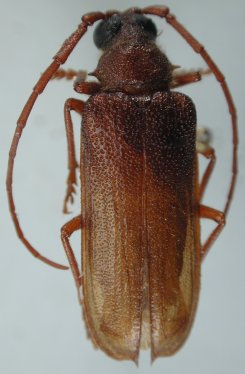
Specimen Type: holotype Sex: f Institution: NMNH United States National Museum, Washington, DC, USA Photographer: Steve Lingafelter Collection Location: Mt Diablo, California 63132
|

Specimen Type: holotype Sex: f Institution: NMNH United States National Museum, Washington, DC, USA Photographer: Steve Lingafelter Collection Location: Mt Diablo, California 63133
|