_Laplante_CNC_Shafer_Butte_Ada_County_Idaho.jpg)
Specimen Type: holotype Sex: m Institution: CNC Canadian National Collection of Insects, Ottawa, Ontario, Canada Photographer: Serge Laplante, photograph and data Determiner: Copyright of
Agriculture & Agri Food Canada Collection Location: Shafer Butte, Ada County, Idaho 63127
|
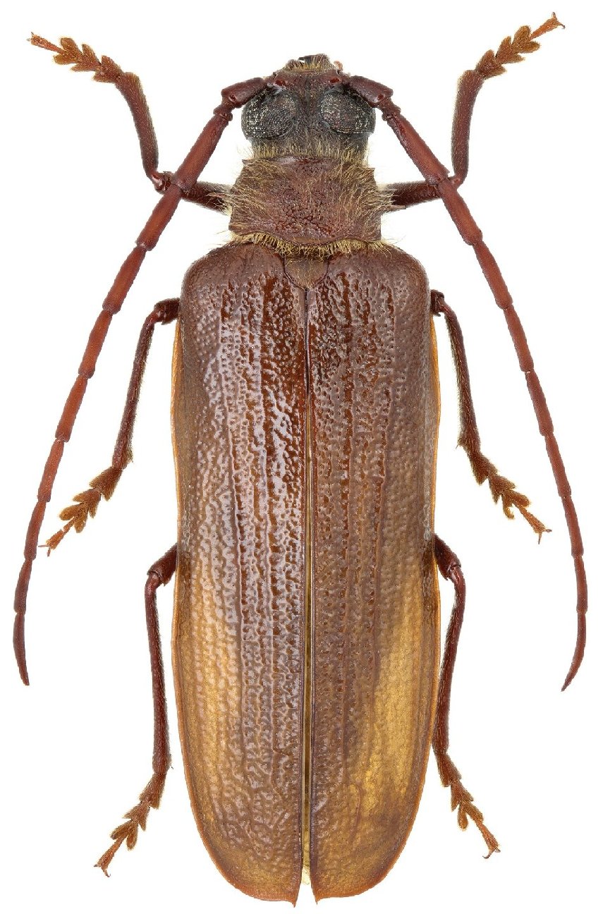
_Laplante_CNC_Shafer_Butte_Ada_County_Idaho.jpg)
Specimen Type: holotype Sex: m Institution: CNC Canadian National Collection of Insects, Ottawa, Ontario, Canada Photographer: Serge Laplante, photograph and data Determiner: Copyright of
Agriculture & Agri Food Canada Collection Location: Shafer Butte, Ada County, Idaho 63128
|
_Laplante_CNC_Shafer_Butte_Ada_County_Idaho.jpg)
Specimen Type: holotype Sex: m Institution: CNC Canadian National Collection of Insects, Ottawa, Ontario, Canada Photographer: Serge Laplante, photograph and data Determiner: Copyright of
Agriculture & Agri Food Canada Collection Location: Shafer Butte, Ada County, Idaho 63129
|
_Laplante_CNC_Shafer_Butte_Ada_County_Idaho.jpg)
Specimen Type: holotype Sex: m Institution: CNC Canadian National Collection of Insects, Ottawa, Ontario, Canada Photographer: Serge Laplante, photograph and data Determiner: Copyright of
Agriculture & Agri Food Canada Collection Location: Shafer Butte, Ada County, Idaho 63130
|
_Laplante_Alpine_Lincoln_Co_Wyo.jpg)
Specimen Type: paratype Sex: m Institution: CNC Canadian National Collection of Insects, Ottawa, Ontario, Canada Photographer: Serge Laplante, photograph and data Determiner: Copyright of
Agriculture & Agri Food Canada Collection Location: Alpine, Lincoln County, Wyoming 63131
|
|