New Search Family, Subfamily and Tribe List
new world both worldsboth worlds old world
Family Lamiinae
SubFamily Lamiinae
Tribe Acanthocinini

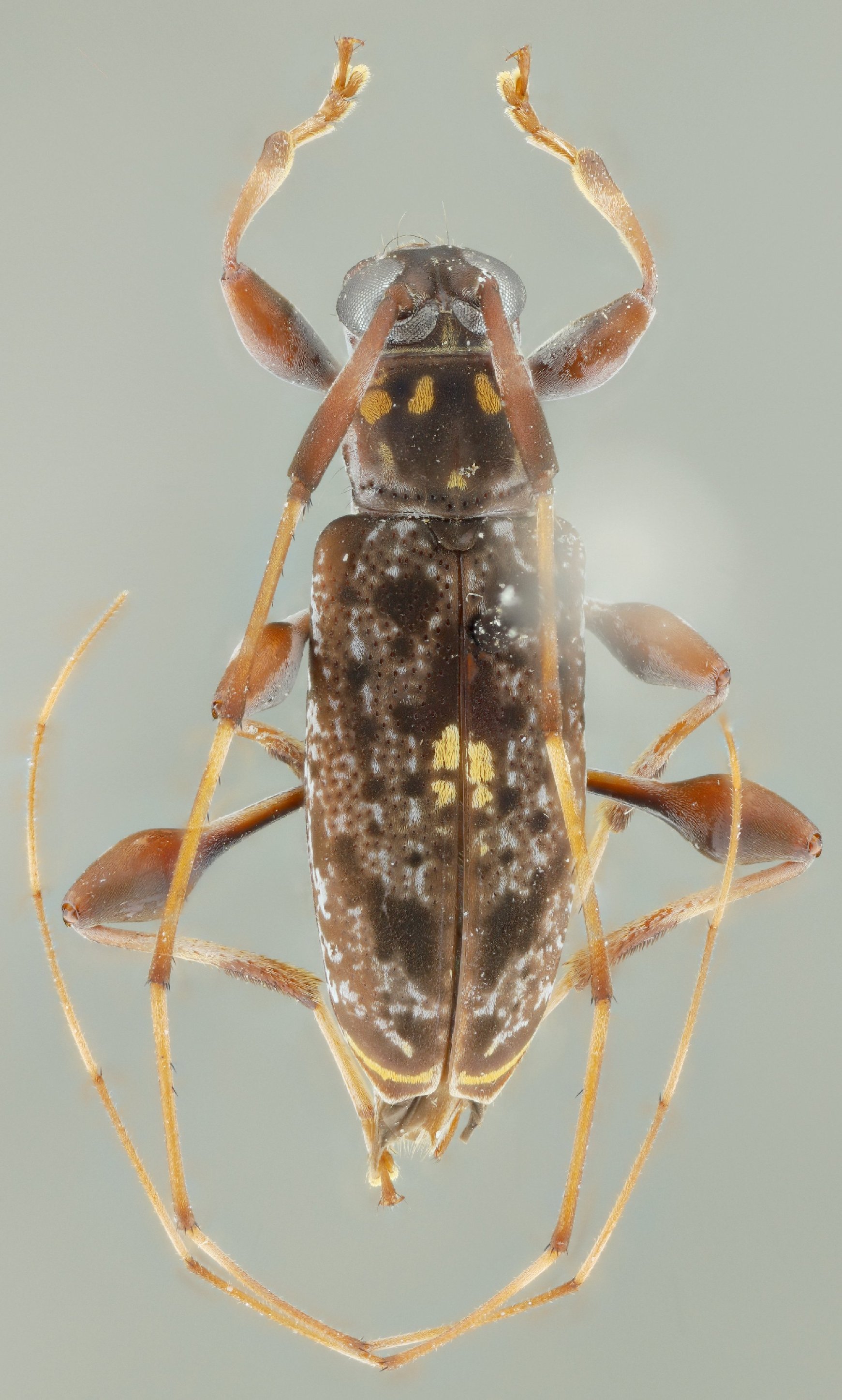
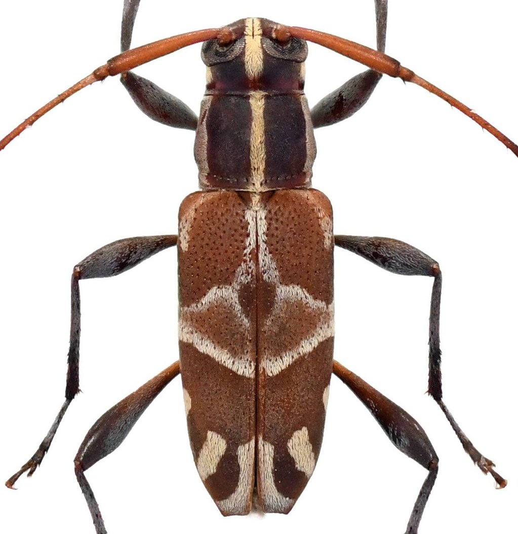
Genus Toronaeus


Toronaeus
figuratus


Toronaeus
incisus


Toronaeus
lautus


Toronaeus
magnificus


Toronaeus
perforator


Toronaeus
propinquus


Toronaeus
simillimus


Toronaeus
suavis


Toronaeus
sumptuosus


Toronaeus
terebrans


Toronaeus
virens

130503