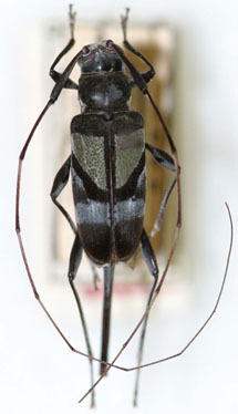
_Lane_MNRJ_SWL.jpg)
Specimen Type: holotype Sex: f Institution: MNRJ Museu Nacional Universidade do Rio Janeiro, Brazil Photographer: Steve Lingafelter Collection Location: Tefe (originally Ega), Amazonas, Brazil 14213
|

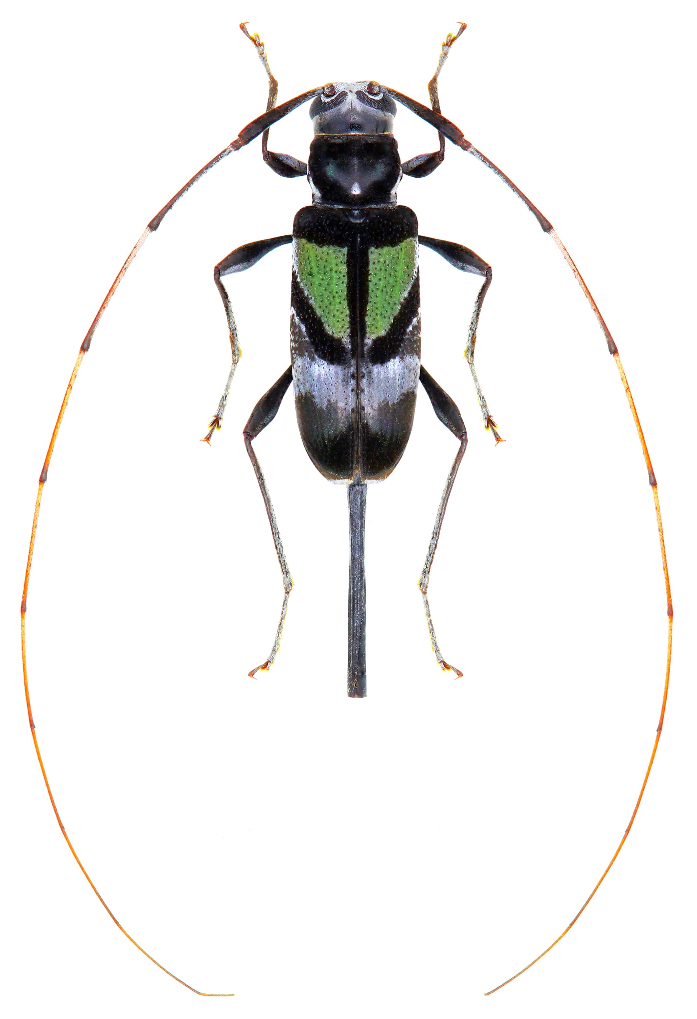
Photographer: Odette Morvan Collection Location: French Guiana 40268
|