 Bates MNHN Tefe (originally Ega), Amazonas, Brazil now Toronaeus Moure.jpg)
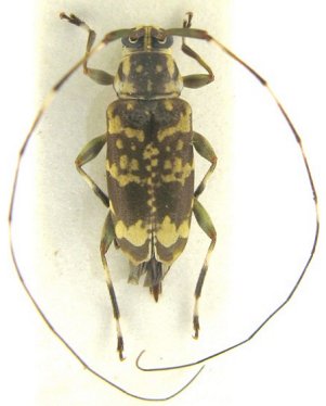
Nyssodrys incisa Bates Specimen Type: holotype Sex: f Institution: MNHN Museum of Natural History Paris, France Photographer: JS Moure Collection Location: Tefe (originally Ega), Amazonas, Brazil 100359
|
_Bates_MNHN_FTH_=_Toronaeus_incisus.jpg)
Nyssodrys incisa Bates Specimen Type: holotype Sex: f Institution: MNHN Museum of Natural History Paris, France Photographer: Frank T. Hovore Collection Location: Tefe (originally Ega), Amazonas, Brazil 17550
|