New Search Family, Subfamily and Tribe List
new world both worldsboth worlds old world
Family Cerambycinae
SubFamily Cerambycinae
Tribe Tropidini Tropidina

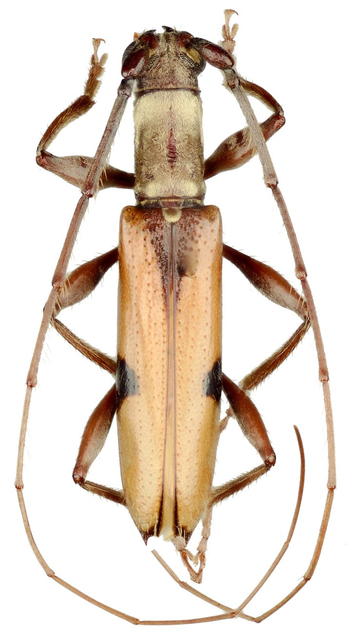
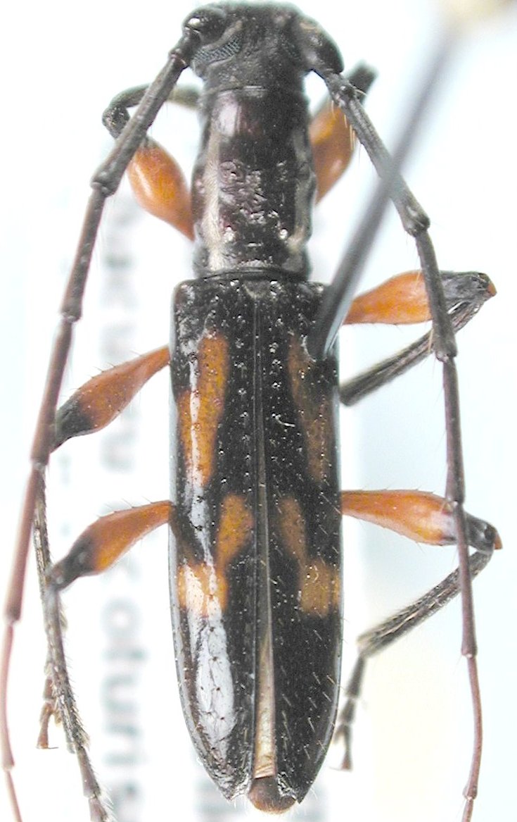
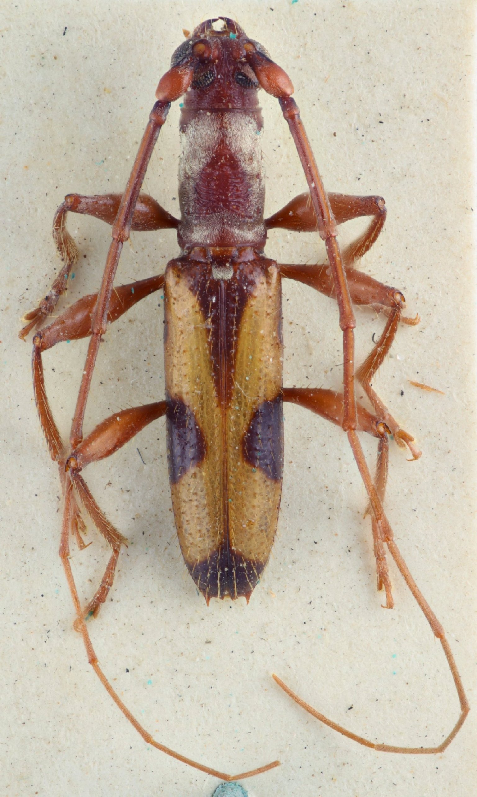
Genus Thoracibidion


Thoracibidion
buquetii


Thoracibidion
fasciiferum


Thoracibidion
flavopictum


Thoracibidion
franzae


Thoracibidion
galbum


Thoracibidion
insigne


Thoracibidion
io


Thoracibidion
lineatocolle


Thoracibidion
mariavanessae


Thoracibidion
pleurostictum


Thoracibidion
rubripenne


Thoracibidion
ruficaudatum


Thoracibidion
striatocolle


Thoracibidion
terminatum


Thoracibidion
tomentosum

130503