_Martins_Rio_Frio_Mgd._Colombia_MCZ.jpg)
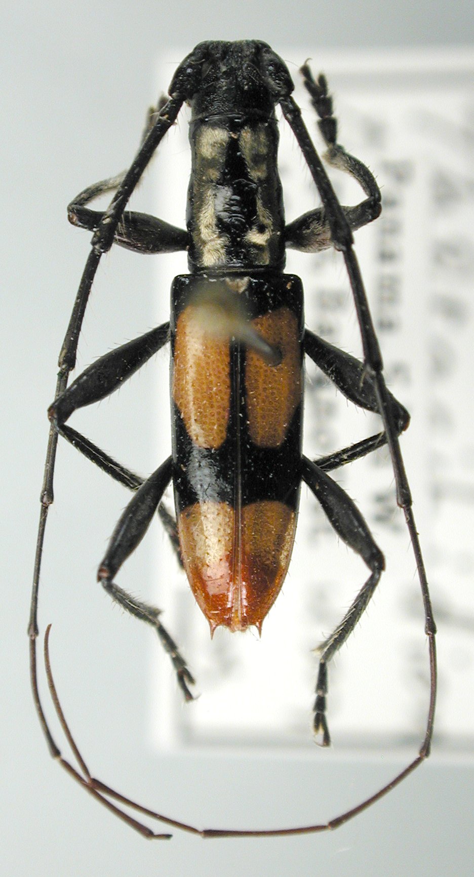
Specimen Type: holotype Sex: m Institution: MCZ Museum of Comparative Zoology, Harvard University, Cambridge, MA, USA Photographer: P. Naskrecki, P. Perkins, and B. Farrell Collection Location: Rio Frio Magdalena, Colombia 18734
|
_Martins_Rio_Frio_Mgd._Colombia_MCZ.jpg)
Specimen Type: holotype Sex: m Institution: MCZ Museum of Comparative Zoology, Harvard University, Cambridge, MA, USA Photographer: P. Naskrecki, P. Perkins, and B. Farrell Collection Location: Rio Frio Magdalena, Colombia 18735
|
_Martins_Rio_Frio_Mgd._Colombia_MCZ.jpg)
Specimen Type: holotype Sex: m Institution: MCZ Museum of Comparative Zoology, Harvard University, Cambridge, MA, USA Photographer: P. Naskrecki, P. Perkins, and B. Farrell Collection Location: Rio Frio Magdalena, Colombia 18736
|
_Martins_Rio_Frio_Mgd._Colombia_MCZ.jpg)
Specimen Type: holotype Sex: m Institution: MCZ Museum of Comparative Zoology, Harvard University, Cambridge, MA, USA Photographer: P. Naskrecki, P. Perkins, and B. Farrell Collection Location: Rio Frio Magdalena, Colombia 18737
|
_Martins_Rio_Frio_Colombia_UCB.jpg)
Specimen Type: paratype Institution: UCB Essig Museum of Entomology, Berkeley, California, USA Photographer: Larry G. Bezark Collection Location: Rio Frio, Colombia 14089
|

14090
|

Institution: JCPC Jim Cope Collection, San Jose, California, USA now at CSCA, Sacramento Photographer: Larry G. Bezark Determiner: Jim Cope Collection Location: 5 km W Ipeti, Bayano District, Panama 98038
|
|