New Search Family, Subfamily and Tribe List

SubFamily Cerambycinae

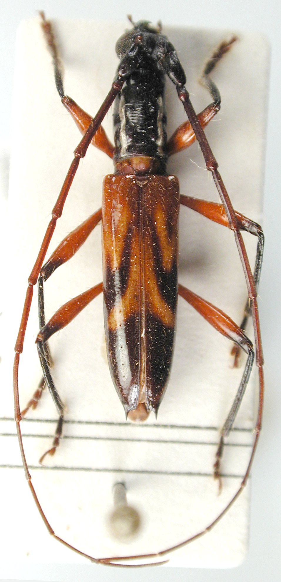
Tribe Tropidini Tropidina
Thoracibidion lineatocolle (Thomson, 1865)

14082


Institution: JCPC Jim Cope Collection, San Jose, California, USA now at CSCA, Sacramento
Photographer: Larry G. Bezark
Determiner: Ernst Huedeophl
Collection Location: Nova Teutonia, Santa Catarina, Brazil
98037

130425