New Search Family, Subfamily and Tribe List
new world both worldsboth worlds old world
Family Lamiinae
SubFamily Lamiinae
Tribe Batocerini

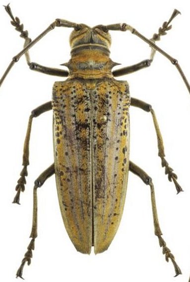
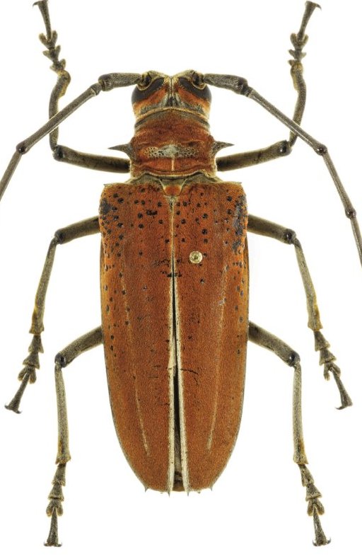
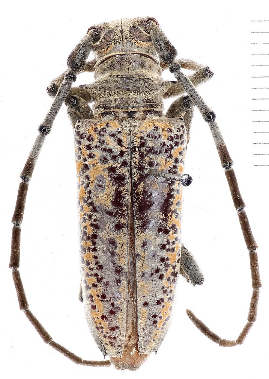
Genus Rosenbergia


Rosenbergia
bismarckiana

Rosenbergia
breuningi
 

Rosenbergia
chaminadei


Rosenbergia
cheesmanae

Rosenbergia
chicheryi
 
Rosenbergia
clarki
 
Rosenbergia
dankersi
 

Rosenbergia
darwini


Rosenbergia
denserugata


Rosenbergia
diannae

Rosenbergia
drouini
 

Rosenbergia
drumonti

Rosenbergia
ehrmanae
 

Rosenbergia
exigua

Rosenbergia
freneyi
 

Rosenbergia
gilmouri


Rosenbergia
hudsoni


Rosenbergia
humeralis


Rosenbergia
lactiflua


Rosenbergia
lepesmei


Rosenbergia
mandibularis


Rosenbergia
megalocephala


Rosenbergia
porioni
porioni

Rosenbergia
porioni
puspensatensis 

Rosenbergia
rubra

Rosenbergia
rubra
fakfakensis 

Rosenbergia
rufolineata


Rosenbergia
samuelsoni


Rosenbergia
schmitti

Rosenbergia
schneideri
 
Rosenbergia
scutellaris
 

Rosenbergia
straussii

Rosenbergia
umboii
 

Rosenbergia
valentinae
valentinae


Rosenbergia
valentinae
eki


Rosenbergia
vetusta


Rosenbergia
weiskei


Rosenbergia
xenium

130503