 Rigout Casadio Coll Aya-Aseki, Morobe Province, PNG Matteo Grasso.jpg)
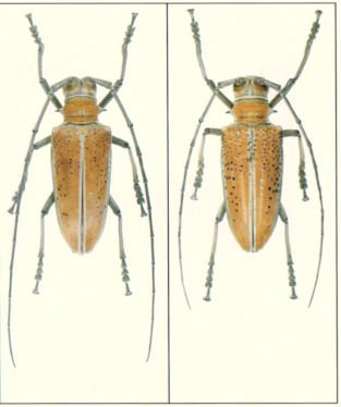
Specimen Type: paratype Sex: m Institution: Grasso-Casadio Collection Photographer: Matteo Grasso Determiner: Holotipus Collection Location: Aya-Aseki, Morobe Province, Papua New Guinea 75607
|

Photographer: Gontran Drouin, Cerambycoidea Forum Collection Location: Aseki, Morobe, Papua New Guinea 70361
|