New Search Family, Subfamily and Tribe List

SubFamily Lamiinae

Tribe Batocerini
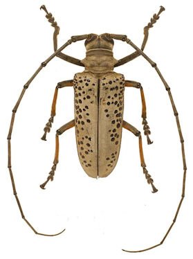
Rosenbergia straussii (Gestro, 1876)

Apriona straussi Gestro
Specimen Type: holotype
Sex: m
Institution: MCSN Museo Civico di Storia Naturale, Genova, Italy
Photographer: Gerrit Withaar
Collection Location: Hatam Arfak, Papua New Guinea
60429


Photographer: Carlo Arrigo Casadio
60430


Sex: m
Photographer: Frédéric Robin
Collection Location: Mt Arfak, Papua New Guinea
80524


Photographer: Carlo Arrigo Casadio
60427

130425