New Search Family, Subfamily and Tribe List
new world both worldsboth worlds old world
Family Cerambycinae
SubFamily Cerambycinae
Tribe Mythodini

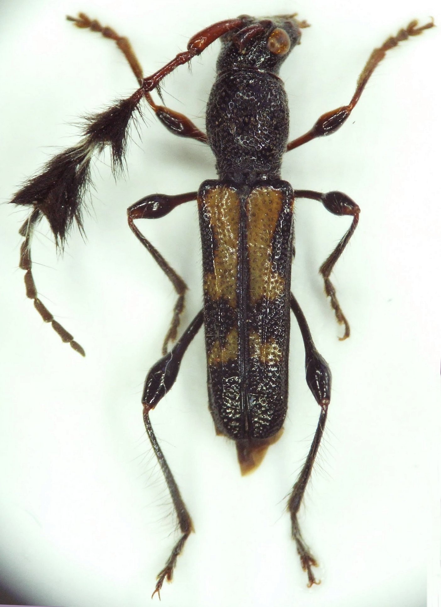
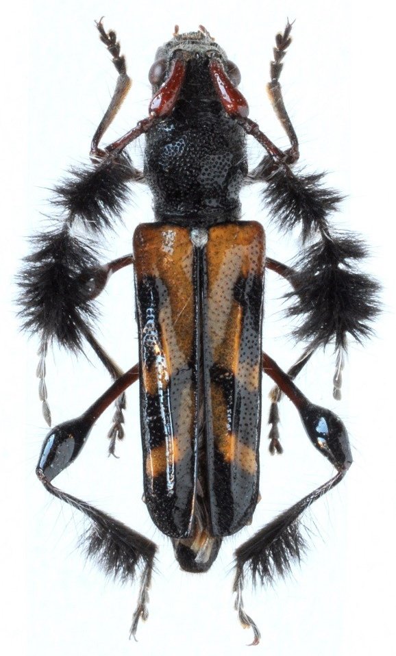
Genus Phyodexia

Phyodexia
atronitida
 

Phyodexia
carinata


Phyodexia
concinna


Phyodexia
luteonotata

130503