New Search Family, Subfamily and Tribe List

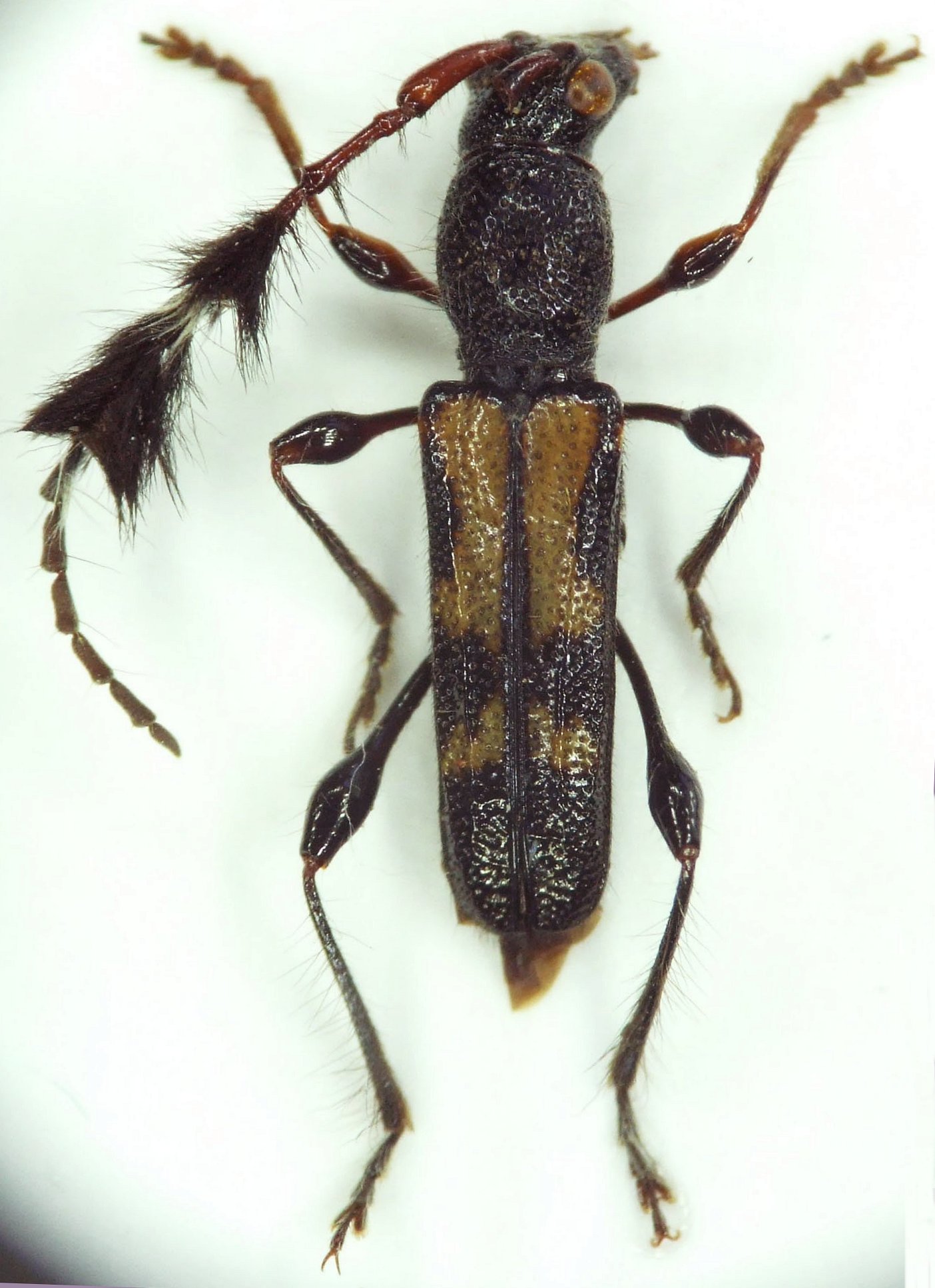
SubFamily Cerambycinae

Tribe Mythodini
Phyodexia luteonotata Pic 1927

Photographer: Francesco Ruggiero
Collection Location: Nghe An Province, Vietnam
91505

130425