New Search Family, Subfamily and Tribe List

SubFamily Cerambycinae

Tribe Mythodini
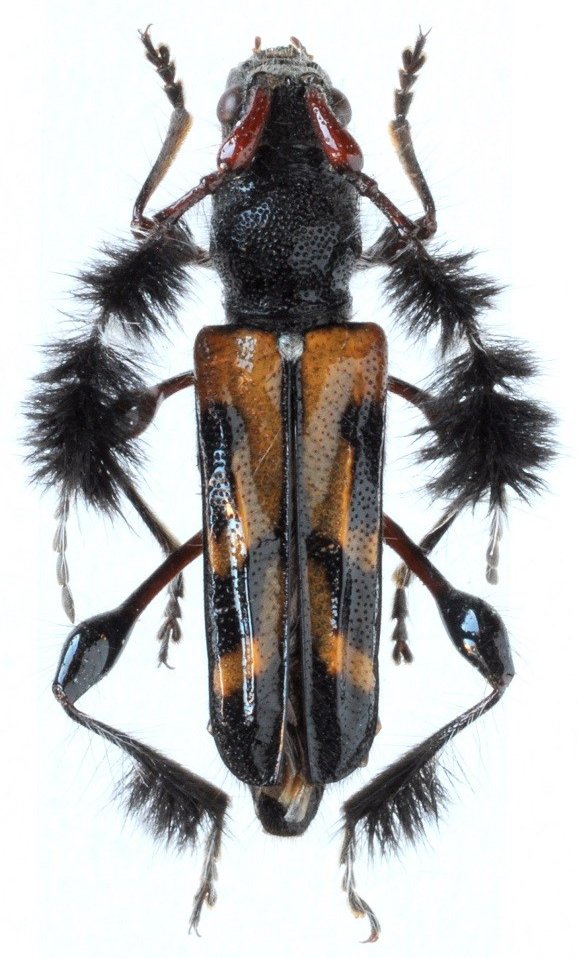
Phyodexia carinata Pic 1902

Specimen Type: maybe this taxon
Photographer: Pierre Haller, Cerambycoidea Forum
Collection Location: C Vietnam
91504

130425