New Search Family, Subfamily and Tribe List
new world both worldsboth worlds old world
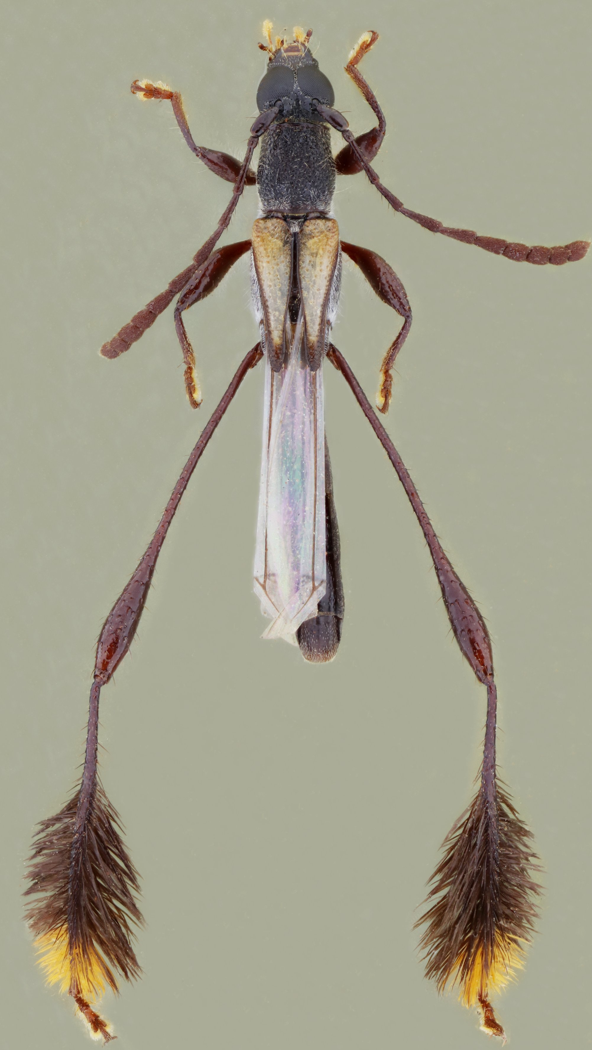
Family Cerambycinae
SubFamily Cerambycinae
Tribe Rhinotragini

Genus Phygopoda


Phygopoda
agdae


Phygopoda
birai


Phygopoda
boliviensis


Phygopoda
carellii


Phygopoda
chaquensis


Phygopoda
exilis


Phygopoda
fugax


Phygopoda
fulvitarsis


Phygopoda
hirsuta


Phygopoda
ingae


Phygopoda
jacobi


Phygopoda
longiscopifera

130503