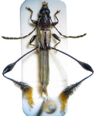
_Gounelle_MNHN_Cayenne_French_Guiana_GN.jpg)
Specimen Type: lectotype Sex: m Institution: MNHN Museum of Natural History Paris, France Photographer: Gino Nearns Collection Location: Cayenne, French Guiana 49116
|
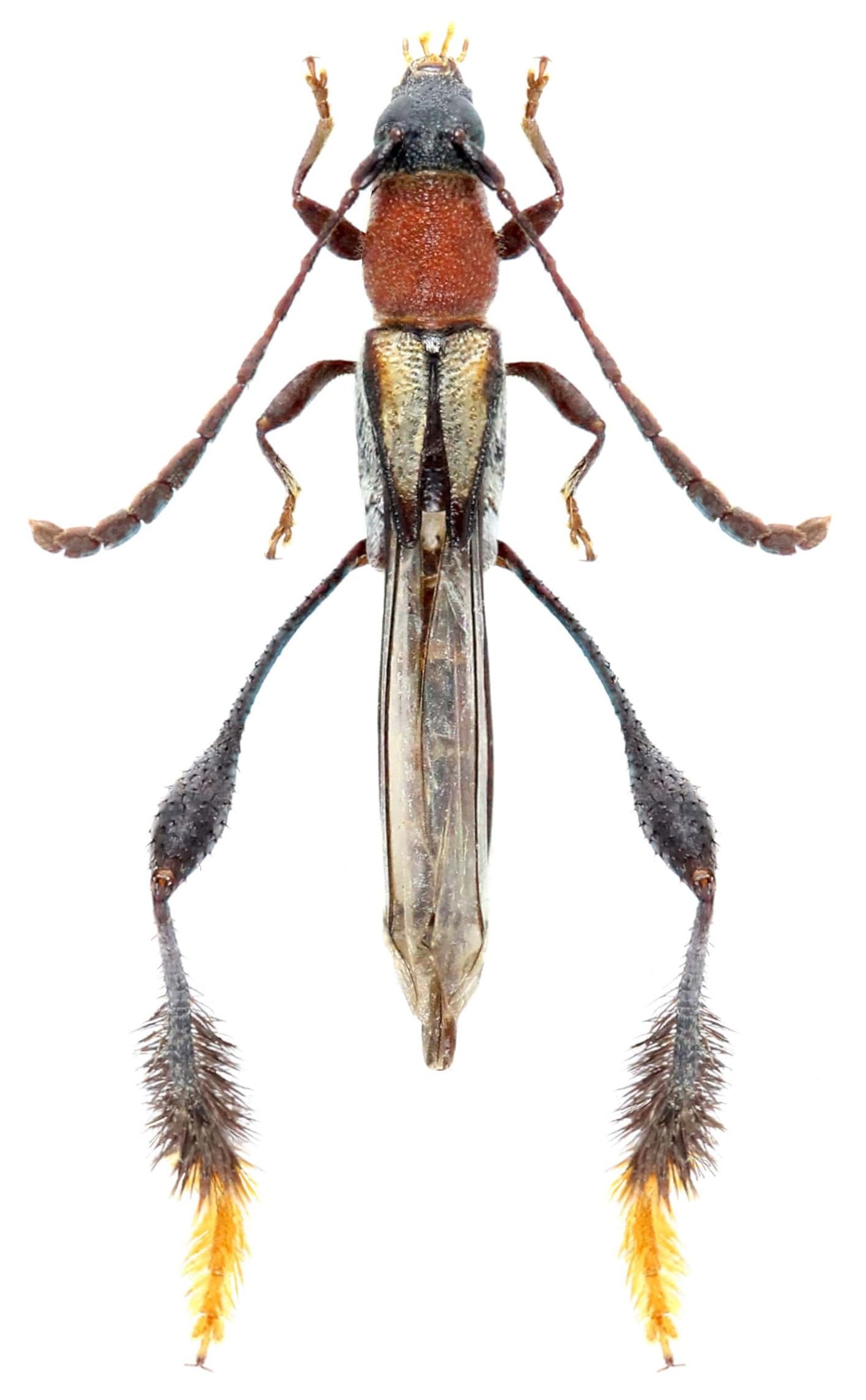
_Gounelle_MNHN_FTH.jpg)
Specimen Type: lectotype Sex: m Institution: MNHN Museum of Natural History Paris, France Collection Location: Cayenne, French Guiana 18185
|
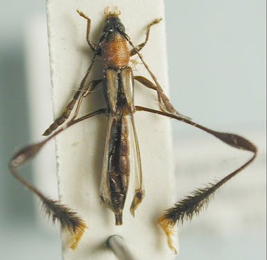
 Gounelle Massif du Mitaraka, Alama Creek, French Guiana Robin.jpg)
Sex: m Photographer: Frédéric Robin Collection Location: Massif du Mitaraka, Alama Creek, French Guiana 80535
|
 Gounelle Belizon, French Guiana Robin.jpg)
Sex: f Photographer: Frédéric Robin Collection Location: Belizon, French Guiana 80536
|
_Gounelle_MZSP_SS.jpg)
Sex: m Institution: MZSP Museu de Zoologia da Universidade de São Paulo, Brazil Photographer: Antonio Santos-Silva 74191
|

Photographer: Denis Faure Collection Location: French Guiana 23623
|

Institution: MZSP Museu de Zoologia da Universidade de São Paulo, Brazil Photographer: Steve Lingafelter Determiner: Martins Collection Location: Bolivia 12083
|

Institution: UCB Essig Museum of Entomology, Berkeley, California, USA Photographer: Larry G. Bezark Collection Location: Guyana 12084
|