_Thomson_MNHN_Brazil_GN.jpg)
Specimen Type: holotype Sex: m Institution: MNHN Museum of Natural History Paris, France Collection Location: Brazil 49115
|
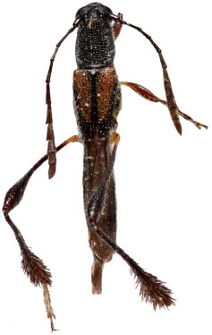
_Thomson_MZSP_Nova_Teutonia_SC_Brazil.jpg)
Sex: f Institution: MZSP Museu de Zoologia da Universidade de São Paulo, Brazil Photographer: Antonio Santos-Silva Collection Location: Nova Teutonia, Santa Catarina, Brazil 74190
|