New Search Family, Subfamily and Tribe List
new world both worldsboth worlds old world
Family Cerambycinae
SubFamily Cerambycinae
Tribe Lygrini

Genus Pelossus


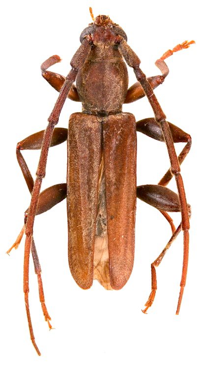
Pelossus
angolanus
teocchii


Pelossus
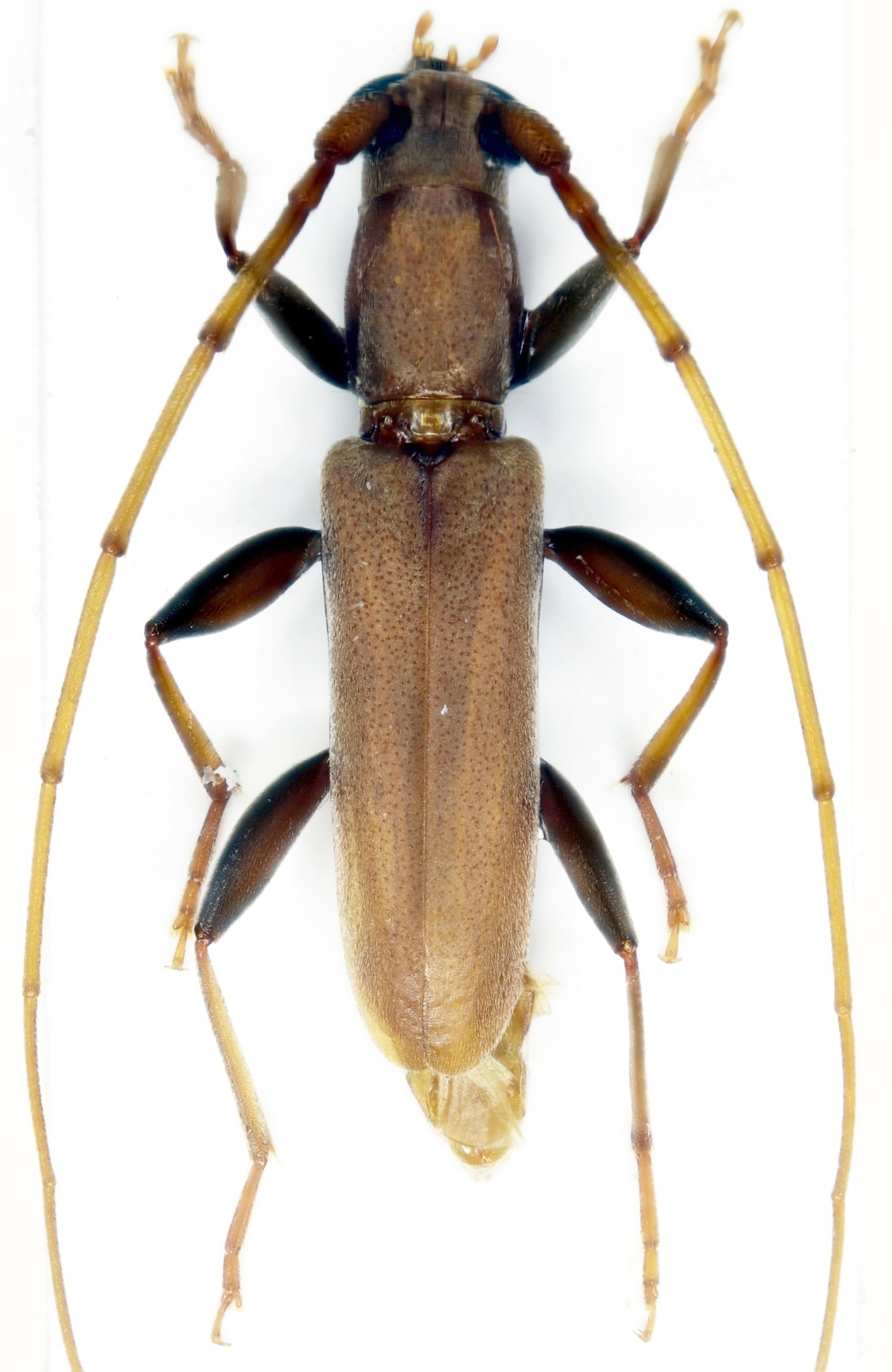
angolanus
angolanus


Pelossus
apicalis


Pelossus
becki


Pelossus
becvari


Pelossus
clarki


Pelossus
clavipes


Pelossus
costatus


Pelossus
holoniger


Pelossus
kalimantanus

Pelossus
latefemoratus
 

Pelossus
longicornis


Pelossus
marleyi


Pelossus
maruyamai

Pelossus
obscurus
 

Pelossus
philippinensis


Pelossus
ruber

Pelossus
rugosiscapus
 

Pelossus
similis


Pelossus
sudrei

Pelossus
unicolor
 

Pelossus
wakabayashii

130503