_Sama_south_Jordan.jpg)
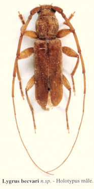
Specimen Type: holotype Sex: m Institution: Sama Collection Determiner: Biocosme Mésogéen, Nice Collection Location: 50 km SE de Maan [29,59 N, 35,56 E], Central Jordan 51945
|
 (Sama) vic Abha, Asir Region, SW Saudi Arabia Nav Hosko.jpg)
Sex: mf Photographer: Navratil & Hoskovec Collection Location: vic Abha, Asir Region, SW Saudi Arabia 79842
|

Institution: LGBC Larry G. Bezark Collection, Sacramento, California, USA Photographer: Larry G. Bezark Collection Location: Jabal, Umm Ishrin, Jordan 49415
|
|