New Search Family, Subfamily and Tribe List

SubFamily Cerambycinae

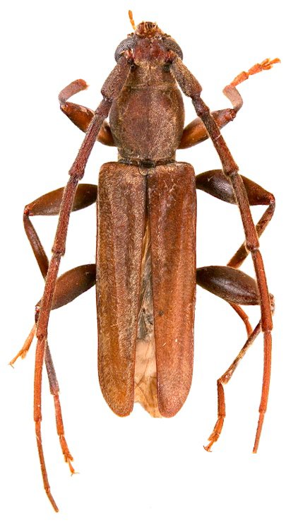
Tribe Lygrini
Pelossus philippinensis Vives 2018

Specimen Type: holotype
Sex: m
Institution: Vives Collection
Photographer: Eduard Vives
Collection Location: Tineg, Abra Province, N Luzon, Philippines
71636

130425