New Search Family, Subfamily and Tribe List
new world both worldsboth worlds old world
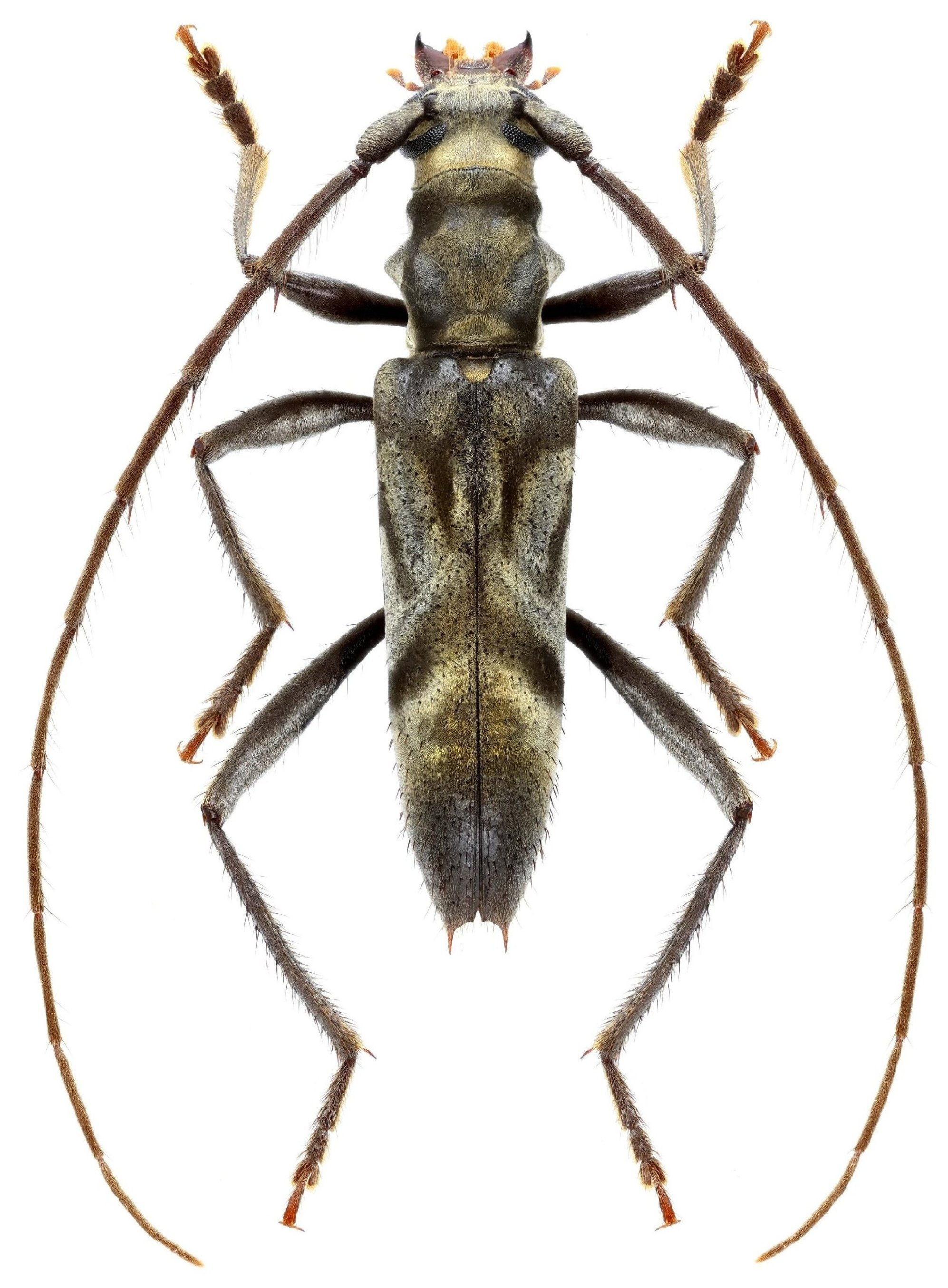
Family Cerambycinae
SubFamily Cerambycinae
Tribe Elaphidiini

Genus Mallocera


Mallocera
amazonica


Mallocera
glauca


Mallocera
ramosa


Mallocera
simplex


Mallocera
spinicollis


Mallocera
umbrosa

130503