_White_BMNH_Brazil_LGB.jpg)
Specimen Type: holotype Institution: BMNH British Museum Natural History, London, UK Photographer: Larry G. Bezark Collection Location: Brazil 47062
|
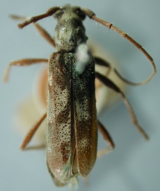
_Melzer_MZSP_SWL_=_Mallocera_simplex_White.jpg)
Mallocera pickeli Melzer Specimen Type: holotype Sex: m Institution: MZSP Museu de Zoologia da Universidade de São Paulo, Brazil Photographer: Steve Lingafelter Collection Location: Tapera, Pernambuco, Brazil 9590
|