_Linsley_CAS_4099_LGB_=_Mallocera_amazonica.jpg)
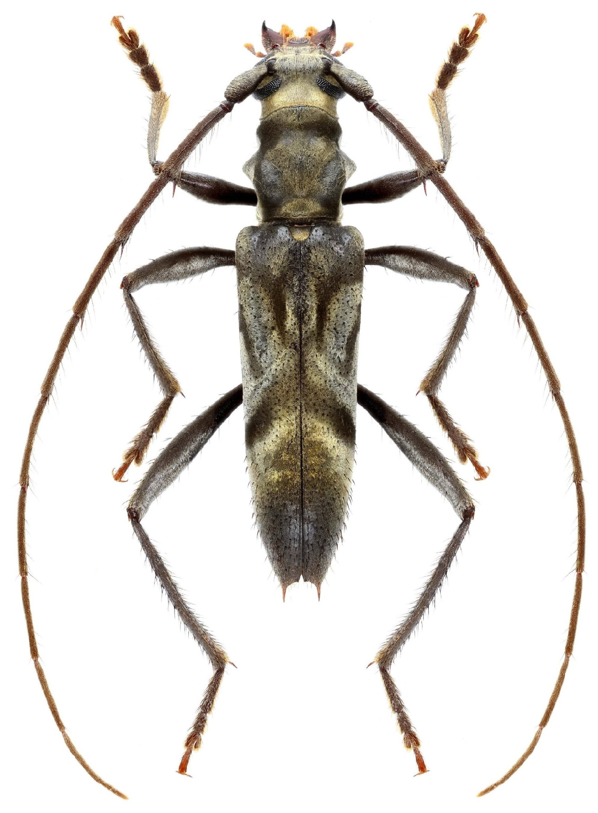
Mallocera aureotincta Linsley Specimen Type: holotype Sex: m Institution: CAS California Academy of Sciences, San Francisco, CA, USA Photographer: Larry G. Bezark Collection Location: Trinidad 20486
|
_Linsley_=_Mallocera_amazonica_Bates.jpg)
Mallocera aureotincta Linsley Specimen Type: allotype 9583
|
_Bates_MNHN_FTH.jpg)
Specimen Type: syntype Institution: MNHN Museum of Natural History Paris, France 17244
|
 Bates Saul, French Guiana Robin.jpg)
Sex: m Photographer: Frédéric Robin Collection Location: Saul, French Guiana 81476
|

Photographer: Denis Faure Collection Location: French Guiana 22062
|

Photographer: Jim Wappes Collection Location: Bolivia 9578
|

Institution: UCB Essig Museum of Entomology, Berkeley, California, USA Photographer: Larry G. Bezark Determiner: Gerard Tavakilian Collection Location: Guyana 9579
|

Institution: FTH Frank T. Hovore collection (now at California Academy of Sciences) Photographer: Larry G. Bezark Collection Location: French Guiana 9580
|

Institution: MZSP Museu de Zoologia da Universidade de São Paulo, Brazil Photographer: Steve Lingafelter 9582
|