New Search Family, Subfamily and Tribe List
new world both worldsboth worlds old world
Family Cerambycinae
SubFamily Cerambycinae
Tribe Graciliini

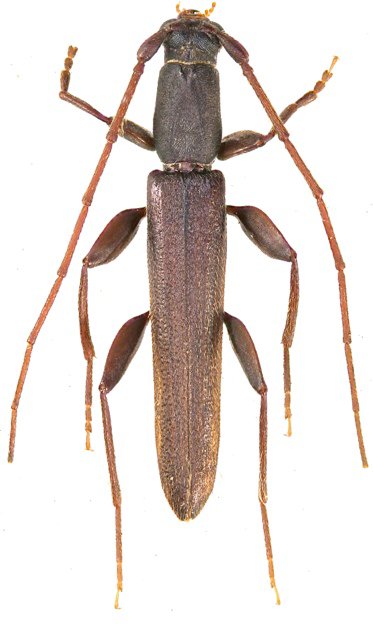
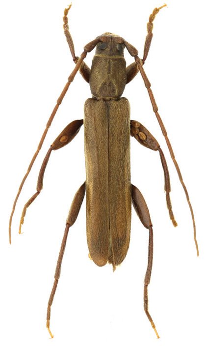
Genus Ischnorhabda


Ischnorhabda
shii


Ischnorhabda
vietnamica

130503