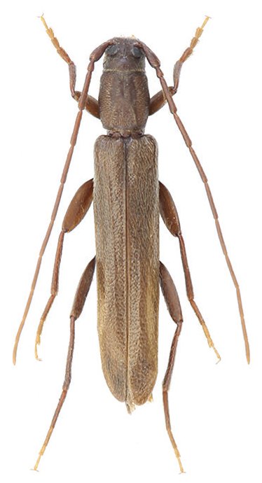
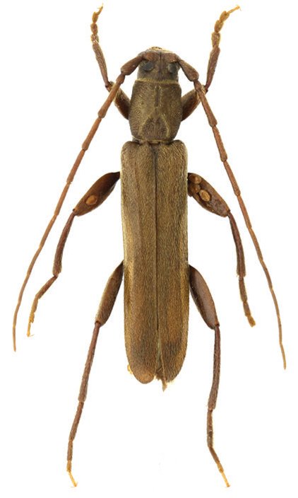
 Wang Xie Wang Ent Mus Yangtze Univ Hubei China Ice Valley, Babao town, Qilian Co, Qinghai China.jpg)
Specimen Type: holotype Sex: m Institution: Ent Mus Yangtze Univ Hubei China Photographer: Yingqi Wang Collection Location: Ice Valley, Babao town, Qilian County, Qinghai Province, China 78087
|
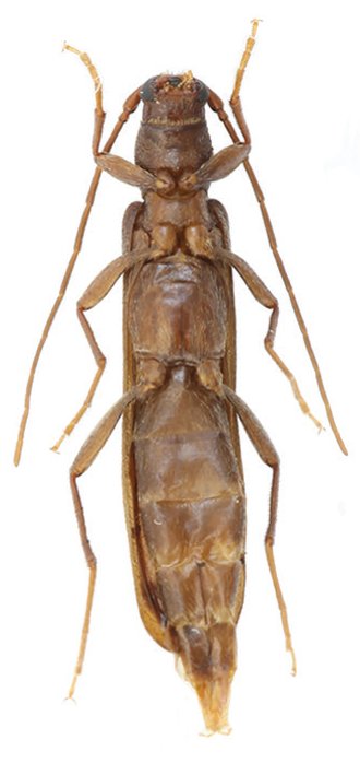
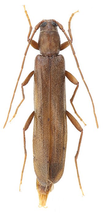
 Wang Xie Wang Ent Mus Yangtze Univ Ice Valley, Babao town, Qilian Co, Qinghai China.jpg)
Specimen Type: holotype Sex: m Institution: Ent Mus Yangtze Univ Hubei China Photographer: Yingqi Wang Collection Location: Ice Valley, Babao town, Qilian County, Qinghai Province, China 78088
|
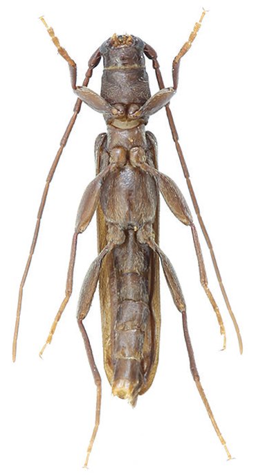
 Wang Xie Wang Ent Mus Yangtze Univ Hubei China Ice Valley, Babao town, Qilian Co, Qinghai China.jpg)
Specimen Type: paratype Sex: f Institution: Ent Mus Yangtze Univ Hubei China Photographer: Yingqi Wang Collection Location: Ice Valley, Babao town, Qilian County, Qinghai Province, China 78089
|
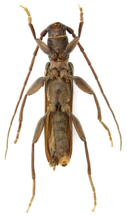
 Wang Xie Wang Ent Mus Yangtze Univ Ice Valley, Babao town, Qilian Co, Qinghai China.jpg)
Specimen Type: paratype Sex: f Institution: Ent Mus Yangtze Univ Hubei China Photographer: Yingqi Wang Collection Location: Ice Valley, Babao town, Qilian County, Qinghai Province, China 78090
|
 Wang Xie Wang Ent Mus Yangtze Univ Hubei China Ice Valley, Babao town, Qilian Co, Qinghai China.jpg)
Specimen Type: paratype Sex: f Institution: Ent Mus Yangtze Univ Hubei China Photographer: Yingqi Wang Collection Location: Ice Valley, Babao town, Qilian County, Qinghai Province, China 78091
|
 Wang Xie Wang Ent Mus Yangtze Univ Ice Valley, Babao town, Qilian Co, Qinghai China.jpg)
Specimen Type: paratype Sex: f Institution: Ent Mus Yangtze Univ Hubei China Photographer: Yingqi Wang Collection Location: Ice Valley, Babao town, Qilian County, Qinghai Province, China 78092
|
|