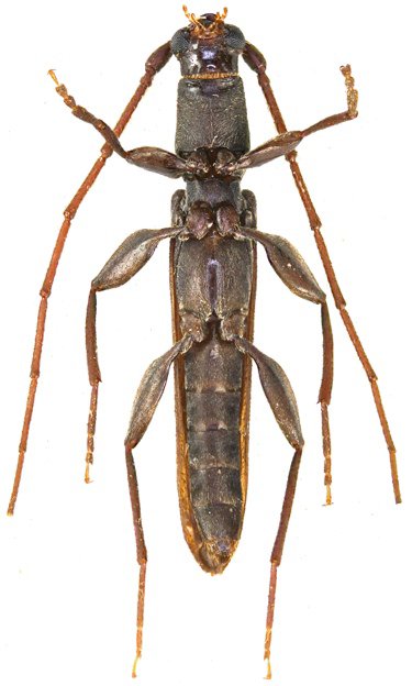
 Vives coll Lung Cu, Ha Giang Province, Vietnam.jpg)
Specimen Type: holotype Sex: m Institution: Vives Collection Photographer: Eduard Vives Collection Location: Lung Cu, Ha Giang Province, Vietnam 78085
|
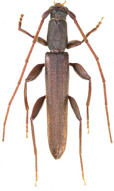
 Vives coll Lung Cu, Ha Giang Province, Vietnam.jpg)
Specimen Type: holotype Sex: m Institution: Vives Collection Photographer: Eduard Vives Collection Location: Lung Cu, Ha Giang Province, Vietnam 78086
|