New Search
Family, Subfamily and Tribe List
Family
SubFamily
Tribe
Disteniini
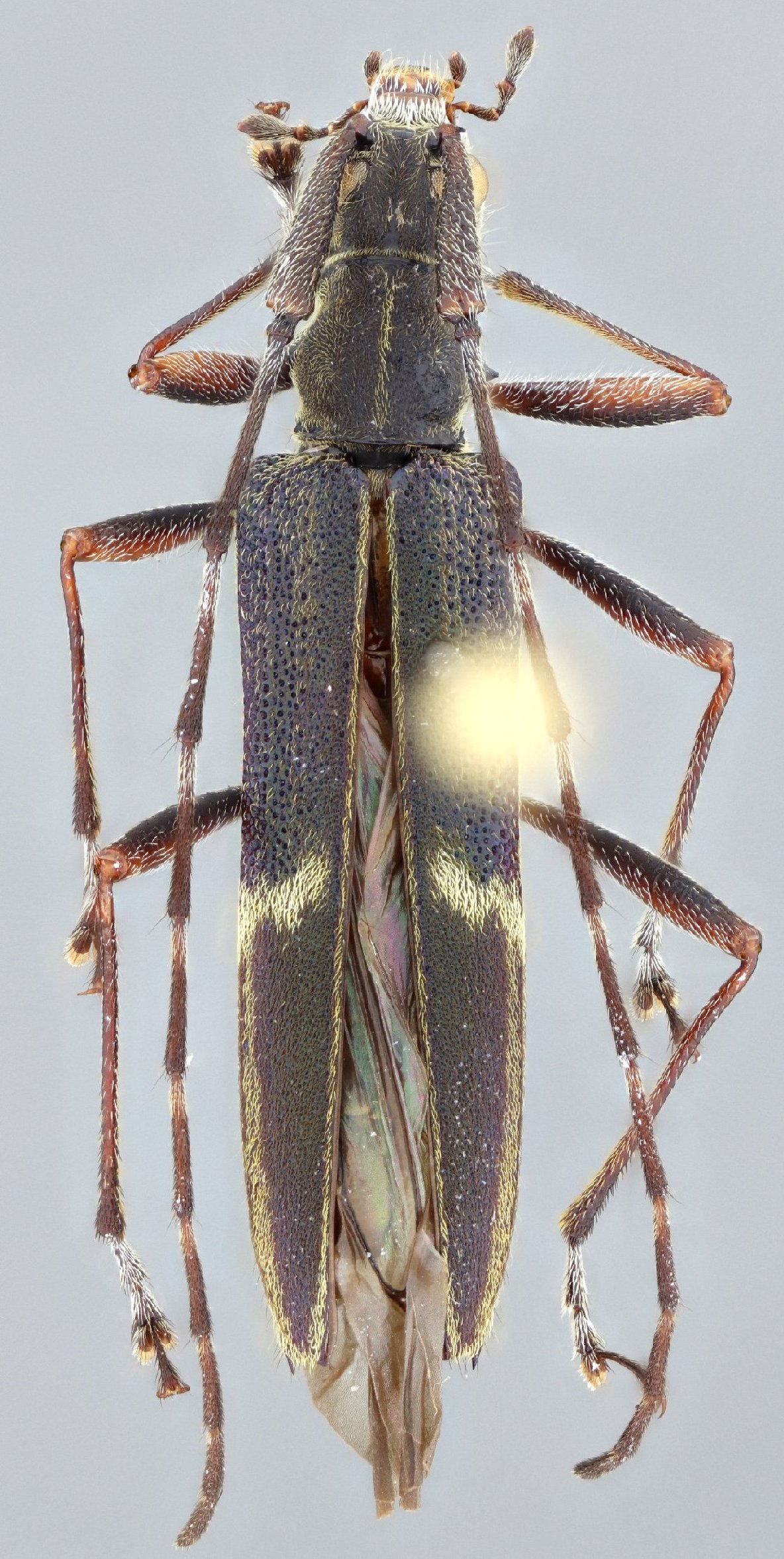
Genus
Hovorestenia
Hovorestenia
cleideae
Hovorestenia
espilota
Hovorestenia
humeralis
Hovorestenia
thalassina
130503