New Search Family, Subfamily and Tribe List

SubFamily

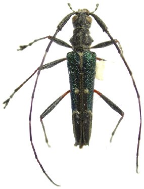
Tribe Disteniini
Hovorestenia thalassina Santos-Silva & Hovore 2008

Specimen Type: holotype
Sex: m
Institution: NMNH United States National Museum, Washington, DC, USA
Collection Location: Quijos, Napo, Ecuador
25946

130425