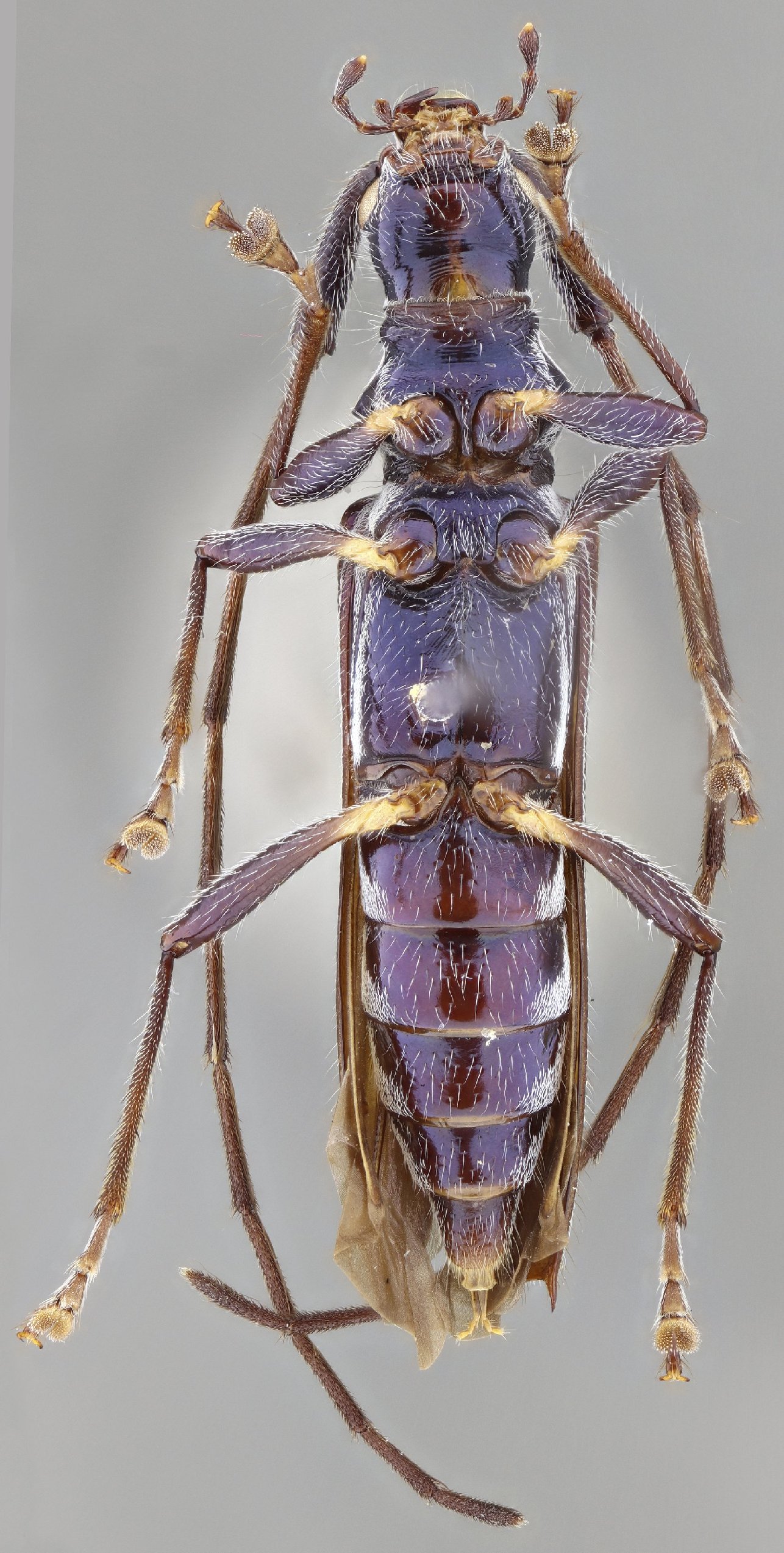
_Botero_IAHV_San_Jose_del_Fragua_Vereda_La_Esmeralda_Caqueta_Colombia.jpg)
Specimen Type: holotype Sex: m Institution: IAVH Instituto de Investigaciones de Recursos Biol Alexander von Humboldt, Leyva, Colombia Photographer: Botero Collection Location: San Jose del Fragua, Vereda La Esmeralda, Caqueta, Colombia 70963
|
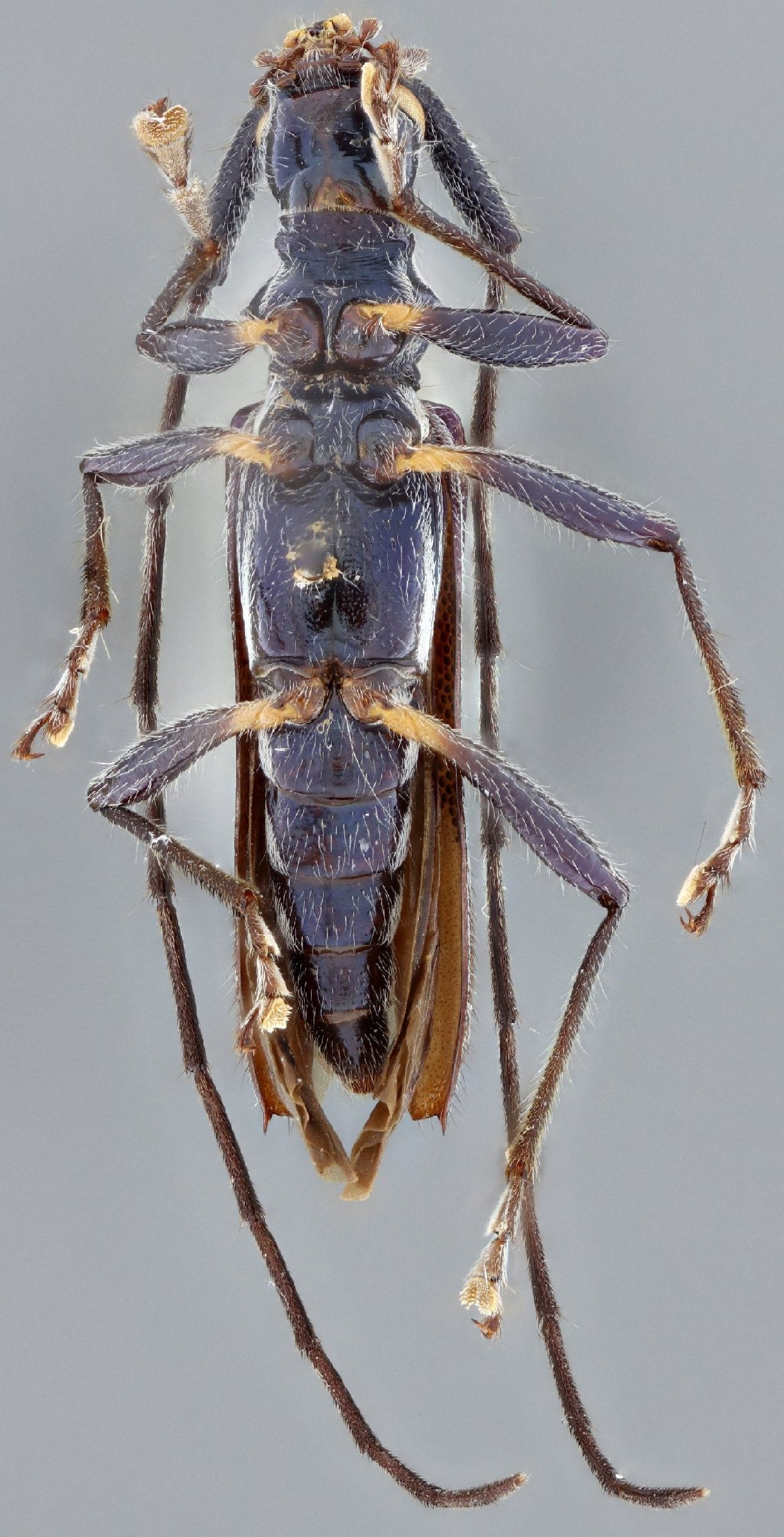
_Botero_IAHV_San_Jose_del_Fragua_Vereda_La_Esmeralda_Caqueta_Colombia.jpg)
Specimen Type: holotype Sex: m Institution: IAVH Instituto de Investigaciones de Recursos Biol Alexander von Humboldt, Leyva, Colombia Photographer: Botero Collection Location: San Jose del Fragua, Vereda La Esmeralda, Caqueta, Colombia 70964
|
_Botero_IAHV_San_Jose_del_Fragua_Vereda_La_Esmeralda_Caqueta_Colombia.jpg)
Specimen Type: holotype Sex: m Institution: IAVH Instituto de Investigaciones de Recursos Biol Alexander von Humboldt, Leyva, Colombia Photographer: Botero Collection Location: San Jose del Fragua, Vereda La Esmeralda, Caqueta, Colombia 70965
|
_Botero_IAHV_San_Jose_del_Fragua_Vereda_La_Esmeralda_Caqueta_Colombia.jpg)
Specimen Type: holotype Sex: m Institution: IAVH Instituto de Investigaciones de Recursos Biol Alexander von Humboldt, Leyva, Colombia Photographer: Botero Collection Location: San Jose del Fragua, Vereda La Esmeralda, Caqueta, Colombia 70966
|
_Botero_IAHV_San_Jose_del_Fragua_Vereda_La_Esmeralda_Caqueta_Colombia.jpg)
Specimen Type: paratype Sex: f Institution: IAVH Instituto de Investigaciones de Recursos Biol Alexander von Humboldt, Leyva, Colombia Photographer: Botero Collection Location: San Jose del Fragua, Vereda La Esmeralda, Caqueta, Colombia 70967
|
_Botero_IAHV_San_Jose_del_Fragua_Vereda_La_Esmeralda_Caqueta_Colombia.jpg)
Specimen Type: paratype Sex: f Institution: IAVH Instituto de Investigaciones de Recursos Biol Alexander von Humboldt, Leyva, Colombia Photographer: Botero Collection Location: San Jose del Fragua, Vereda La Esmeralda, Caqueta, Colombia 70968
|
_Botero_IAHV_San_Jose_del_Fragua_Vereda_La_Esmeralda_Caqueta_Colombia.jpg)
Specimen Type: paratype Sex: f Institution: IAVH Instituto de Investigaciones de Recursos Biol Alexander von Humboldt, Leyva, Colombia Photographer: Botero Collection Location: San Jose del Fragua, Vereda La Esmeralda, Caqueta, Colombia 70969
|
_Botero_IAHV_San_Jose_del_Fragua_Vereda_La_Esmeralda_Caqueta_Colombia.jpg)
Specimen Type: paratype Sex: f Institution: IAVH Instituto de Investigaciones de Recursos Biol Alexander von Humboldt, Leyva, Colombia Photographer: Botero Collection Location: San Jose del Fragua, Vereda La Esmeralda, Caqueta, Colombia 70970
|
_Botero_IAHV_San_Jose_del_Fragua_Vereda_La_Esmeralda_Caqueta_Colombia.jpg)
Specimen Type: paratype Sex: f Institution: IAVH Instituto de Investigaciones de Recursos Biol Alexander von Humboldt, Leyva, Colombia Photographer: Botero Collection Location: San Jose del Fragua, Vereda La Esmeralda, Caqueta, Colombia 70972
|
 Botero MZSP San Jose del Fragua, Vereda La Esmeralda, Caqueta, Colombia JPB.jpg)
Specimen Type: paratype Sex: f Institution: IAVH Instituto de Investigaciones de Recursos Biol Alexander von Humboldt, Leyva, Colombia Photographer: Juan Pablo Botero & Antonio Santos-Silva Collection Location: San Jose del Fragua, Vereda La Esmeralda, Caqueta, Colombia 96531
|
_Botero_IAHV_San_Jose_del_Fragua_Vereda_La_Esmeralda_Caqueta_Colombia.jpg)
Specimen Type: paratype Sex: f Institution: IAVH Instituto de Investigaciones de Recursos Biol Alexander von Humboldt, Leyva, Colombia Photographer: Botero Collection Location: San Jose del Fragua, Vereda La Esmeralda, Caqueta, Colombia 70971
|
_Botero_IAHV_San_Jose_del_Fragua_Vereda_La_Esmeralda_Caqueta_Colombia.jpg)
Specimen Type: paratype Sex: f Institution: IAVH Instituto de Investigaciones de Recursos Biol Alexander von Humboldt, Leyva, Colombia Photographer: Botero Collection Location: San Jose del Fragua, Vereda La Esmeralda, Caqueta, Colombia 70973
|
|