New Search
Family, Subfamily and Tribe List
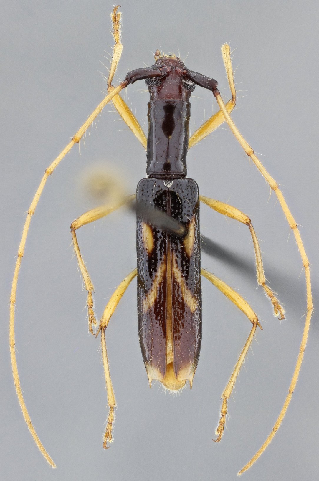
Family
Cerambycinae
SubFamily
Cerambycinae
Tribe
Hexoplonini
Genus
Glyptoscapus
Glyptoscapus
bivittatus
Glyptoscapus
cicatricosus
Glyptoscapus
flaveolus
Glyptoscapus
letiziae
Glyptoscapus
pallidulus
Glyptoscapus
vanettii
130503