
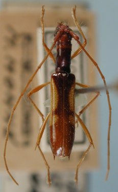
Institution: MNRJ Museu Nacional Universidade do Rio Janeiro, Brazil Photographer: Larry G. Bezark Determiner: Martins Collection Location: S Caraca, Santa Barbara, Minas Gerais, Brazil 33434
|

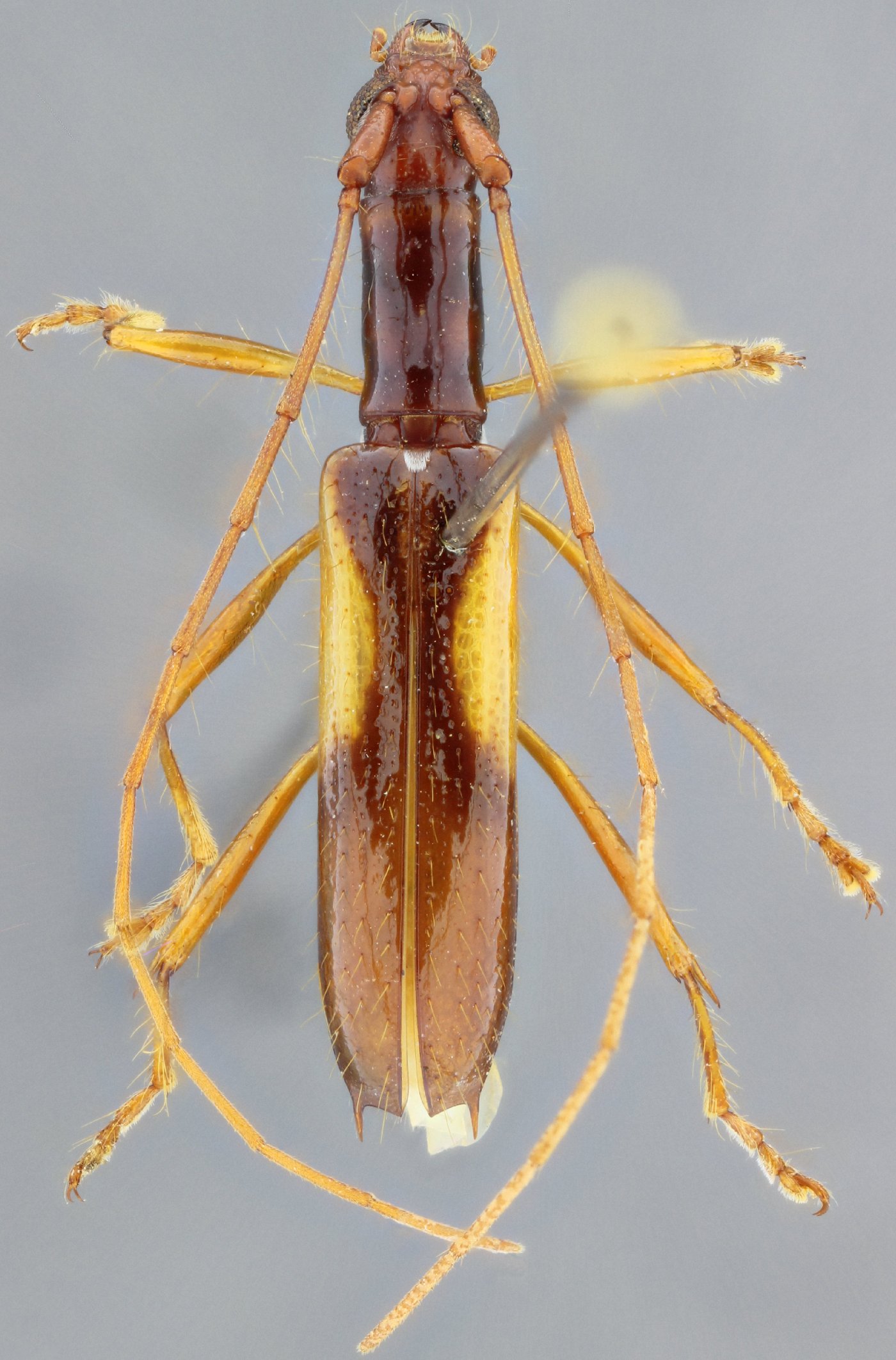
Photographer: Antonio Santos-Silva Collection Location: Estacao Ambiental de Pati-CEMIG, Mato Grosso, Brazil 67871
|