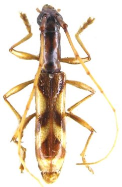
_White_BMNH_Tapajos_Para_Braz_nowGlyptoscapus_LGB.jpg)
Ibidion pallidulum White Specimen Type: holotype Institution: BMNH British Museum Natural History, London, UK Photographer: Larry G. Bezark Collection Location: Tapajos, Para, Brazil 46901
|
_(White)_MZSP_SS.jpg)
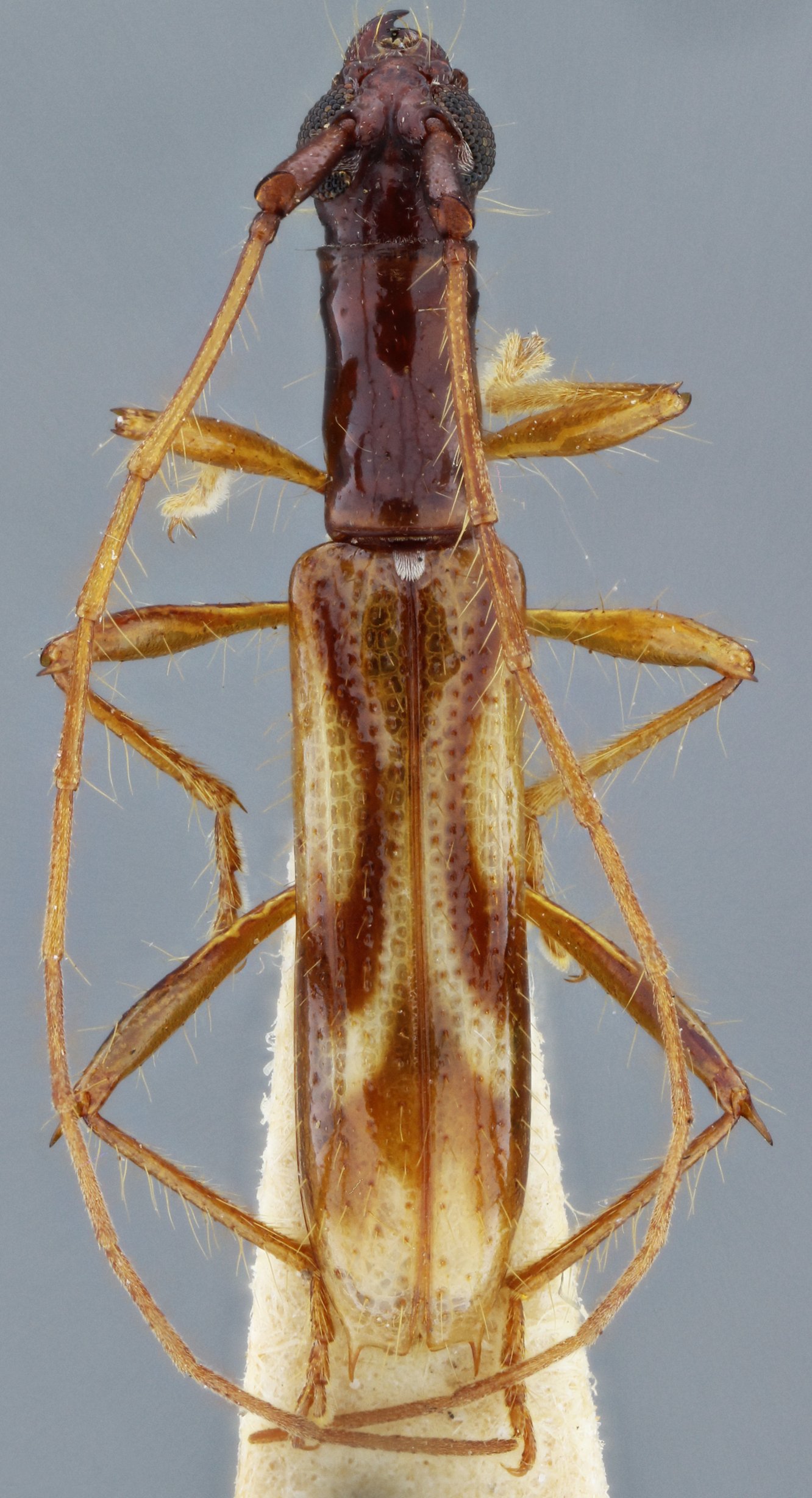
Sex: m Institution: MZSP Museu de Zoologia da Universidade de São Paulo, Brazil Photographer: Antonio Santos-Silva 67879
|
_(White)_MZSP_SS.jpg)
Sex: f Institution: MZSP Museu de Zoologia da Universidade de São Paulo, Brazil Photographer: Antonio Santos-Silva 67880
|

Photographer: Jean-Louis Giuglaris Collection Location: Kaw, French Guiana 28773
|
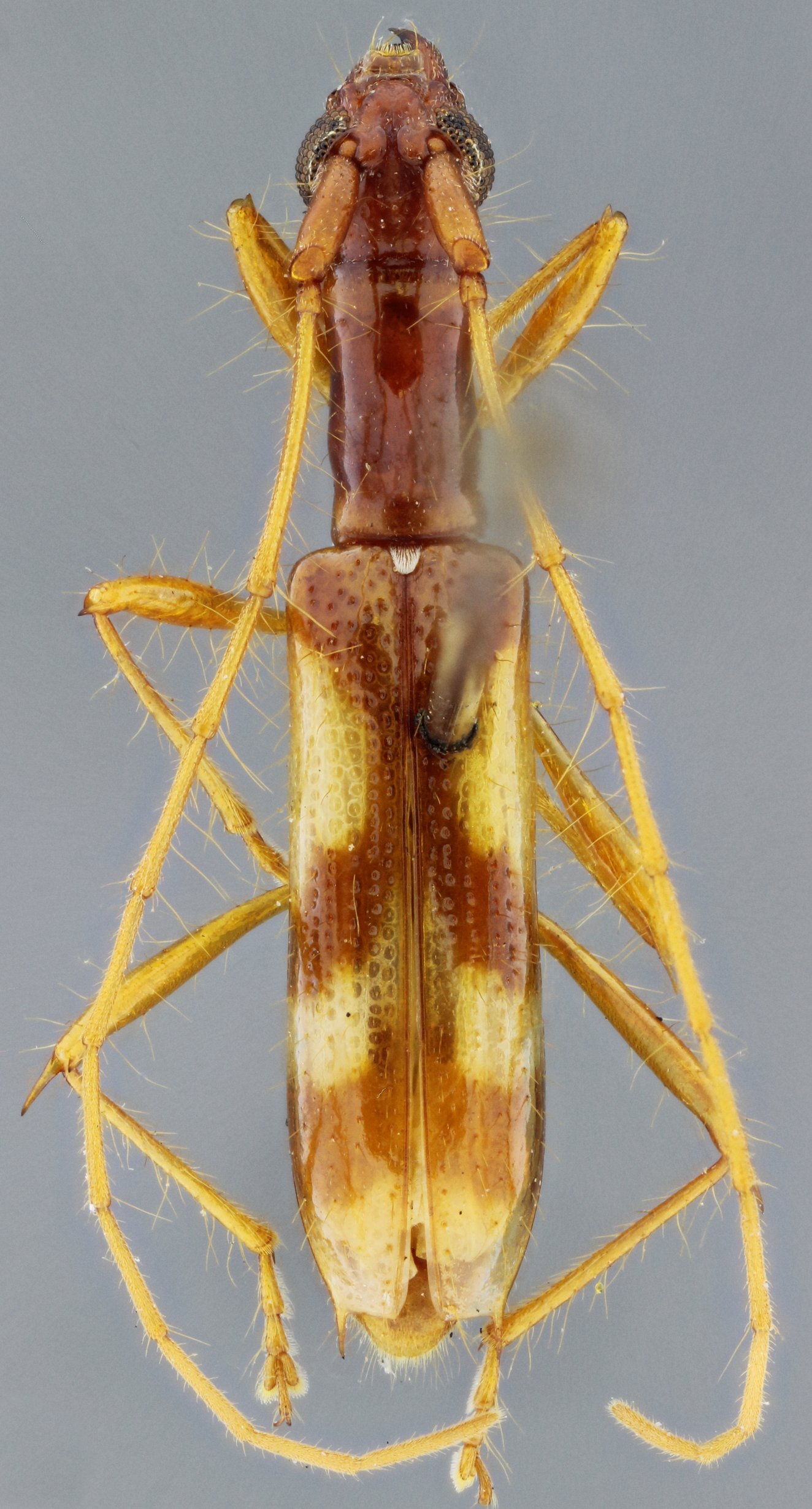
_(White)_San_Jacinto_Res_LaFlecha_Bolivar_Col_Garcia.jpg)
Sex: m Photographer: Kim Garcia Collection Location: San Jacinto, Reserva La Flecha, Bolivar, Colombia 69434
|
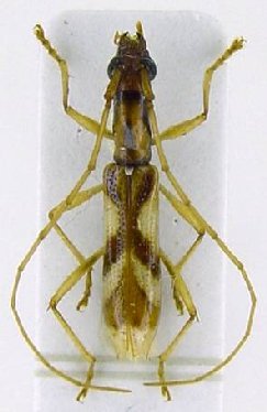
_(White)_San_Jacinto_Res_LaFlecha_Bolivar_Col_Garcia.jpg)
Sex: f Photographer: Kim Garcia Collection Location: San Jacinto, Reserva La Flecha, Bolivar, Colombia 69435
|
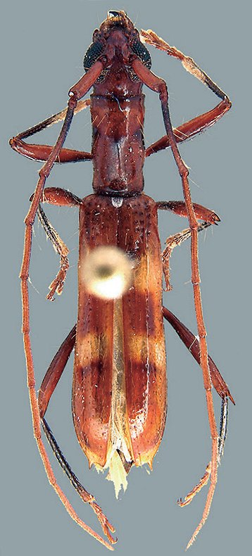
_El_Llano_Panama_Giesbert_Coll_FSCA.jpg)
Institution: EMG Ed Giesbert Collection (now at FSCA) Photographer: Larry G. Bezark Collection Location: El Llano, Panama 7964
|
_Faure_French_Guiana.jpg)
Photographer: Denis Faure Collection Location: French Guiana 21919
|