New Search Family, Subfamily and Tribe List
new world both worldsboth worlds old world
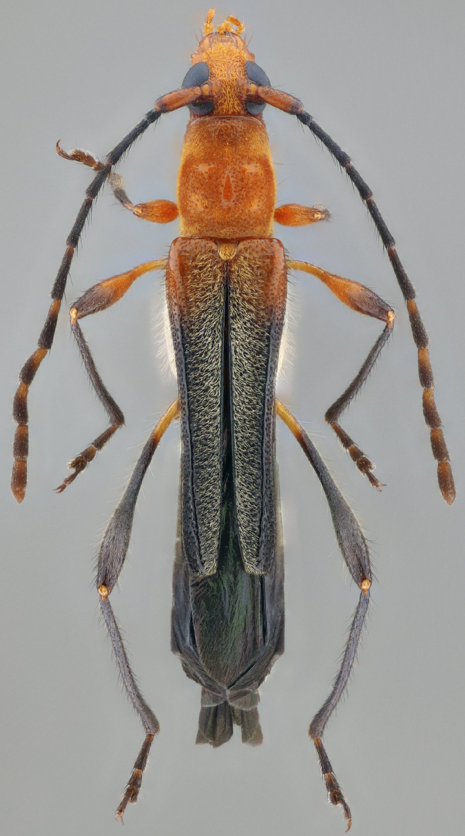
Family Cerambycinae
SubFamily Cerambycinae
Tribe Rhinotragini

Genus Giesberteclipta


Giesberteclipta
abbreviata


Giesberteclipta
costipennis


Giesberteclipta
monteverdensis


Giesberteclipta
morrisoni


Giesberteclipta
unicolor


Giesberteclipta
variicollis

130503