_Giesbert_CAS_type_17084.jpg)
Ommata costipennis Giesbert Specimen Type: holotype Sex: m Institution: CAS California Academy of Sciences, San Francisco, CA, USA Photographer: Larry G. Bezark Collection Location: 8.5 km North of El Llano, Panama 23543
|
_Giesbert_CAS.jpg)
Ommata costipennis Giesbert Specimen Type: allotype Sex: f Institution: CAS California Academy of Sciences, San Francisco, CA, USA Photographer: Larry G. Bezark Collection Location: 8.5 km North of El Llano, Panama 11100
|
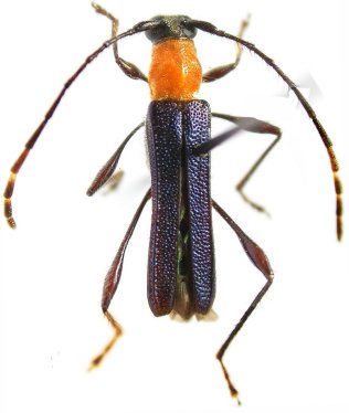
_Giesb_=_Giesberteclipta.jpg)
Ommata costipennis Giesbert Specimen Type: paratype Sex: m Photographer: Antonio Santos-Silva 37133
|
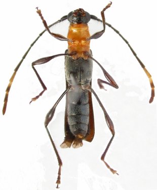
_Giesb_=_Giesberteclipta.jpg)
Ommata costipennis Giesbert Specimen Type: paratype Sex: m Photographer: Antonio Santos-Silva 37134
|

Institution: FTH Frank T. Hovore collection (now at California Academy of Sciences) Photographer: Larry G. Bezark Collection Location: El Llano, Panama 25322
|

Institution: FTH Frank T. Hovore collection (now at California Academy of Sciences) Photographer: Larry G. Bezark Collection Location: El Llano, Panama 25323
|
_Giesb_=_Giesberteclipta.jpg)
Ommata costipennis Giesbert Specimen Type: paratype Sex: m Photographer: Antonio Santos-Silva 37135
|