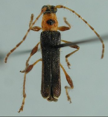
_Giesbert_CAS_type_17086.jpg)
Ommata monteverdensis Giesbert Specimen Type: holotype Sex: m Institution: CAS California Academy of Sciences, San Francisco, CA, USA Photographer: Larry G. Bezark Collection Location: Monteverde, Puntarenas, Costa Rica 23547
|
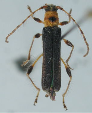
_monteverdensis_(a)_Giesbert_Monteverde_Puntarenas_Costa_Rica_UCB.jpg)
Ommata monteverdensis Giesbert Specimen Type: allotype Sex: f Institution: UCB Essig Museum of Entomology, Berkeley, California, USA Collection Location: Monteverde, Puntarenas, Costa Rica 17748
|